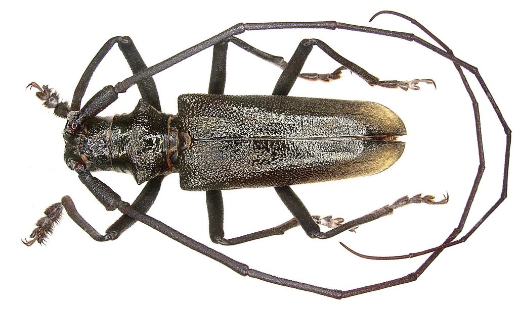
Are Sawyer Beetles Harmful To Humans . Get details about their eggs, larva, pupa, and adults, and also if they are poisonous or not. many people mistake sawyer beetles for the dreaded asian longhorned beetle (alb) which does not attack. They are, however, capable of causing damage to trees, especially those that are already stressed or diseased. the white spotted sawyer beetle, also known as the spotted pine sawyer, is a pest that can cause damage to trees, but their bites are not poisonous to humans. However, it’s still essential to take preventive measures and control these pests to protect your trees and surroundings. However, their bites do not pose a significant threat to humans.
from beetleidentifications.com
They are, however, capable of causing damage to trees, especially those that are already stressed or diseased. However, their bites do not pose a significant threat to humans. However, it’s still essential to take preventive measures and control these pests to protect your trees and surroundings. the white spotted sawyer beetle, also known as the spotted pine sawyer, is a pest that can cause damage to trees, but their bites are not poisonous to humans. Get details about their eggs, larva, pupa, and adults, and also if they are poisonous or not. many people mistake sawyer beetles for the dreaded asian longhorned beetle (alb) which does not attack.
Pine Sawyer Beetle Identification, Life Cycle, Facts & Pictures
Are Sawyer Beetles Harmful To Humans Get details about their eggs, larva, pupa, and adults, and also if they are poisonous or not. many people mistake sawyer beetles for the dreaded asian longhorned beetle (alb) which does not attack. the white spotted sawyer beetle, also known as the spotted pine sawyer, is a pest that can cause damage to trees, but their bites are not poisonous to humans. However, it’s still essential to take preventive measures and control these pests to protect your trees and surroundings. However, their bites do not pose a significant threat to humans. They are, however, capable of causing damage to trees, especially those that are already stressed or diseased. Get details about their eggs, larva, pupa, and adults, and also if they are poisonous or not.
From www.eathappyproject.com
Types of Beetles You Should Know! EatHappyProject Are Sawyer Beetles Harmful To Humans Get details about their eggs, larva, pupa, and adults, and also if they are poisonous or not. many people mistake sawyer beetles for the dreaded asian longhorned beetle (alb) which does not attack. However, it’s still essential to take preventive measures and control these pests to protect your trees and surroundings. They are, however, capable of causing damage to. Are Sawyer Beetles Harmful To Humans.
From www.beetleidentification.org
Whitespotted Sawyer Beetle Are Sawyer Beetles Harmful To Humans They are, however, capable of causing damage to trees, especially those that are already stressed or diseased. the white spotted sawyer beetle, also known as the spotted pine sawyer, is a pest that can cause damage to trees, but their bites are not poisonous to humans. However, it’s still essential to take preventive measures and control these pests to. Are Sawyer Beetles Harmful To Humans.
From www.forestryimages.org
sawyer beetle (Monochamus sartor) Are Sawyer Beetles Harmful To Humans Get details about their eggs, larva, pupa, and adults, and also if they are poisonous or not. many people mistake sawyer beetles for the dreaded asian longhorned beetle (alb) which does not attack. However, their bites do not pose a significant threat to humans. They are, however, capable of causing damage to trees, especially those that are already stressed. Are Sawyer Beetles Harmful To Humans.
From www.machiasnews.com
The Nature of Phenology Sawyer beetles Machias Valley News Observer Are Sawyer Beetles Harmful To Humans Get details about their eggs, larva, pupa, and adults, and also if they are poisonous or not. the white spotted sawyer beetle, also known as the spotted pine sawyer, is a pest that can cause damage to trees, but their bites are not poisonous to humans. However, it’s still essential to take preventive measures and control these pests to. Are Sawyer Beetles Harmful To Humans.
From www.inaturalist.org
Whitespotted Sawyer Beetle (Beetles of Chicago Wilderness) · iNaturalist Are Sawyer Beetles Harmful To Humans Get details about their eggs, larva, pupa, and adults, and also if they are poisonous or not. the white spotted sawyer beetle, also known as the spotted pine sawyer, is a pest that can cause damage to trees, but their bites are not poisonous to humans. They are, however, capable of causing damage to trees, especially those that are. Are Sawyer Beetles Harmful To Humans.
From beetleidentifications.com
Pine Sawyer Beetle Identification, Life Cycle, Facts & Pictures Are Sawyer Beetles Harmful To Humans the white spotted sawyer beetle, also known as the spotted pine sawyer, is a pest that can cause damage to trees, but their bites are not poisonous to humans. However, their bites do not pose a significant threat to humans. They are, however, capable of causing damage to trees, especially those that are already stressed or diseased. Get details. Are Sawyer Beetles Harmful To Humans.
From www.ipmimages.org
sawyer beetle, Monochamus sartor (Coleoptera Cerambycidae) 1433011 Are Sawyer Beetles Harmful To Humans Get details about their eggs, larva, pupa, and adults, and also if they are poisonous or not. However, their bites do not pose a significant threat to humans. many people mistake sawyer beetles for the dreaded asian longhorned beetle (alb) which does not attack. However, it’s still essential to take preventive measures and control these pests to protect your. Are Sawyer Beetles Harmful To Humans.
From www.forestryimages.org
sawyer beetles (Genus Monochamus) Are Sawyer Beetles Harmful To Humans Get details about their eggs, larva, pupa, and adults, and also if they are poisonous or not. many people mistake sawyer beetles for the dreaded asian longhorned beetle (alb) which does not attack. They are, however, capable of causing damage to trees, especially those that are already stressed or diseased. the white spotted sawyer beetle, also known as. Are Sawyer Beetles Harmful To Humans.
From www.forestryimages.org
sawyer beetle (Monochamus sartor) Are Sawyer Beetles Harmful To Humans They are, however, capable of causing damage to trees, especially those that are already stressed or diseased. Get details about their eggs, larva, pupa, and adults, and also if they are poisonous or not. many people mistake sawyer beetles for the dreaded asian longhorned beetle (alb) which does not attack. However, it’s still essential to take preventive measures and. Are Sawyer Beetles Harmful To Humans.
From www.forestryimages.org
sawyer beetle (Monochamus sartor) Are Sawyer Beetles Harmful To Humans However, their bites do not pose a significant threat to humans. However, it’s still essential to take preventive measures and control these pests to protect your trees and surroundings. the white spotted sawyer beetle, also known as the spotted pine sawyer, is a pest that can cause damage to trees, but their bites are not poisonous to humans. Get. Are Sawyer Beetles Harmful To Humans.
From beetleidentifications.com
Pine Sawyer Beetle Identification, Life Cycle, Facts & Pictures Are Sawyer Beetles Harmful To Humans Get details about their eggs, larva, pupa, and adults, and also if they are poisonous or not. However, it’s still essential to take preventive measures and control these pests to protect your trees and surroundings. the white spotted sawyer beetle, also known as the spotted pine sawyer, is a pest that can cause damage to trees, but their bites. Are Sawyer Beetles Harmful To Humans.
From www.ipmimages.org
sawyer beetles (Genus Monochamus) Are Sawyer Beetles Harmful To Humans Get details about their eggs, larva, pupa, and adults, and also if they are poisonous or not. However, it’s still essential to take preventive measures and control these pests to protect your trees and surroundings. many people mistake sawyer beetles for the dreaded asian longhorned beetle (alb) which does not attack. They are, however, capable of causing damage to. Are Sawyer Beetles Harmful To Humans.
From www.inaturalist.org
sawyer beetles (First State NHP Insects and Spiders) · iNaturalist Are Sawyer Beetles Harmful To Humans However, their bites do not pose a significant threat to humans. many people mistake sawyer beetles for the dreaded asian longhorned beetle (alb) which does not attack. However, it’s still essential to take preventive measures and control these pests to protect your trees and surroundings. the white spotted sawyer beetle, also known as the spotted pine sawyer, is. Are Sawyer Beetles Harmful To Humans.
From www.projectnoah.org
Pine Sawyer Beetle Project Noah Are Sawyer Beetles Harmful To Humans the white spotted sawyer beetle, also known as the spotted pine sawyer, is a pest that can cause damage to trees, but their bites are not poisonous to humans. However, it’s still essential to take preventive measures and control these pests to protect your trees and surroundings. Get details about their eggs, larva, pupa, and adults, and also if. Are Sawyer Beetles Harmful To Humans.
From www.forestryimages.org
sawyer beetles (Genus Monochamus) Are Sawyer Beetles Harmful To Humans the white spotted sawyer beetle, also known as the spotted pine sawyer, is a pest that can cause damage to trees, but their bites are not poisonous to humans. They are, however, capable of causing damage to trees, especially those that are already stressed or diseased. However, their bites do not pose a significant threat to humans. many. Are Sawyer Beetles Harmful To Humans.
From www.alamy.com
Sawyer beetle (Monochamus galloprovincialis) on wooden surface Stock Are Sawyer Beetles Harmful To Humans many people mistake sawyer beetles for the dreaded asian longhorned beetle (alb) which does not attack. However, it’s still essential to take preventive measures and control these pests to protect your trees and surroundings. Get details about their eggs, larva, pupa, and adults, and also if they are poisonous or not. However, their bites do not pose a significant. Are Sawyer Beetles Harmful To Humans.
From www.cirrusimage.com
Whitespotted Sawyer Beetle North American Insects & Spiders Are Sawyer Beetles Harmful To Humans However, their bites do not pose a significant threat to humans. the white spotted sawyer beetle, also known as the spotted pine sawyer, is a pest that can cause damage to trees, but their bites are not poisonous to humans. many people mistake sawyer beetles for the dreaded asian longhorned beetle (alb) which does not attack. Get details. Are Sawyer Beetles Harmful To Humans.
From www.insectimages.org
sawyer beetles (Genus Monochamus) Are Sawyer Beetles Harmful To Humans They are, however, capable of causing damage to trees, especially those that are already stressed or diseased. Get details about their eggs, larva, pupa, and adults, and also if they are poisonous or not. However, their bites do not pose a significant threat to humans. many people mistake sawyer beetles for the dreaded asian longhorned beetle (alb) which does. Are Sawyer Beetles Harmful To Humans.
From www.forestryimages.org
sawyer beetle (Monochamus sartor) Are Sawyer Beetles Harmful To Humans many people mistake sawyer beetles for the dreaded asian longhorned beetle (alb) which does not attack. Get details about their eggs, larva, pupa, and adults, and also if they are poisonous or not. the white spotted sawyer beetle, also known as the spotted pine sawyer, is a pest that can cause damage to trees, but their bites are. Are Sawyer Beetles Harmful To Humans.
From extension.umaine.edu
Sawyer Beetles Home and Garden IPM from Cooperative Extension Are Sawyer Beetles Harmful To Humans They are, however, capable of causing damage to trees, especially those that are already stressed or diseased. many people mistake sawyer beetles for the dreaded asian longhorned beetle (alb) which does not attack. However, their bites do not pose a significant threat to humans. Get details about their eggs, larva, pupa, and adults, and also if they are poisonous. Are Sawyer Beetles Harmful To Humans.
From www.dreamstime.com
Sawyer beetle stock photo. Image of wildlife, animal 58455952 Are Sawyer Beetles Harmful To Humans They are, however, capable of causing damage to trees, especially those that are already stressed or diseased. However, their bites do not pose a significant threat to humans. the white spotted sawyer beetle, also known as the spotted pine sawyer, is a pest that can cause damage to trees, but their bites are not poisonous to humans. many. Are Sawyer Beetles Harmful To Humans.
From www.alamy.com
Forest pests sawyer beetle hires stock photography and images Alamy Are Sawyer Beetles Harmful To Humans However, it’s still essential to take preventive measures and control these pests to protect your trees and surroundings. They are, however, capable of causing damage to trees, especially those that are already stressed or diseased. However, their bites do not pose a significant threat to humans. Get details about their eggs, larva, pupa, and adults, and also if they are. Are Sawyer Beetles Harmful To Humans.
From www.forestryimages.org
sawyer beetles (Genus Monochamus) Are Sawyer Beetles Harmful To Humans many people mistake sawyer beetles for the dreaded asian longhorned beetle (alb) which does not attack. However, it’s still essential to take preventive measures and control these pests to protect your trees and surroundings. However, their bites do not pose a significant threat to humans. Get details about their eggs, larva, pupa, and adults, and also if they are. Are Sawyer Beetles Harmful To Humans.
From www.insectimages.org
sawyer beetles (Genus Monochamus) Are Sawyer Beetles Harmful To Humans Get details about their eggs, larva, pupa, and adults, and also if they are poisonous or not. the white spotted sawyer beetle, also known as the spotted pine sawyer, is a pest that can cause damage to trees, but their bites are not poisonous to humans. However, their bites do not pose a significant threat to humans. They are,. Are Sawyer Beetles Harmful To Humans.
From forestrynews.blogs.govdelivery.com
Pine Sawyer Beetle A Noteworthy Native Are Sawyer Beetles Harmful To Humans However, it’s still essential to take preventive measures and control these pests to protect your trees and surroundings. They are, however, capable of causing damage to trees, especially those that are already stressed or diseased. Get details about their eggs, larva, pupa, and adults, and also if they are poisonous or not. many people mistake sawyer beetles for the. Are Sawyer Beetles Harmful To Humans.
From www.mykapuskasingnow.com
White spotted Sawyer Beetles ‘Spruce Bugs’ provide major help to Are Sawyer Beetles Harmful To Humans Get details about their eggs, larva, pupa, and adults, and also if they are poisonous or not. many people mistake sawyer beetles for the dreaded asian longhorned beetle (alb) which does not attack. They are, however, capable of causing damage to trees, especially those that are already stressed or diseased. the white spotted sawyer beetle, also known as. Are Sawyer Beetles Harmful To Humans.
From www.forestryimages.org
sawyer beetles (Genus Monochamus) Are Sawyer Beetles Harmful To Humans many people mistake sawyer beetles for the dreaded asian longhorned beetle (alb) which does not attack. They are, however, capable of causing damage to trees, especially those that are already stressed or diseased. Get details about their eggs, larva, pupa, and adults, and also if they are poisonous or not. the white spotted sawyer beetle, also known as. Are Sawyer Beetles Harmful To Humans.
From beetleidentifications.com
Pine Sawyer Beetle Identification, Life Cycle, Facts & Pictures Are Sawyer Beetles Harmful To Humans However, their bites do not pose a significant threat to humans. However, it’s still essential to take preventive measures and control these pests to protect your trees and surroundings. Get details about their eggs, larva, pupa, and adults, and also if they are poisonous or not. many people mistake sawyer beetles for the dreaded asian longhorned beetle (alb) which. Are Sawyer Beetles Harmful To Humans.
From extension.umaine.edu
Sawyer Beetles Home and Garden IPM from Cooperative Extension Are Sawyer Beetles Harmful To Humans They are, however, capable of causing damage to trees, especially those that are already stressed or diseased. However, their bites do not pose a significant threat to humans. many people mistake sawyer beetles for the dreaded asian longhorned beetle (alb) which does not attack. the white spotted sawyer beetle, also known as the spotted pine sawyer, is a. Are Sawyer Beetles Harmful To Humans.
From www.insectimages.org
Carolina pine sawyer beetle (Monochamus carolinensis) Are Sawyer Beetles Harmful To Humans However, it’s still essential to take preventive measures and control these pests to protect your trees and surroundings. many people mistake sawyer beetles for the dreaded asian longhorned beetle (alb) which does not attack. the white spotted sawyer beetle, also known as the spotted pine sawyer, is a pest that can cause damage to trees, but their bites. Are Sawyer Beetles Harmful To Humans.
From www.sciencephoto.com
Sawyer beetle on a tree trunk Stock Image C014/9687 Science Photo Are Sawyer Beetles Harmful To Humans Get details about their eggs, larva, pupa, and adults, and also if they are poisonous or not. However, their bites do not pose a significant threat to humans. many people mistake sawyer beetles for the dreaded asian longhorned beetle (alb) which does not attack. the white spotted sawyer beetle, also known as the spotted pine sawyer, is a. Are Sawyer Beetles Harmful To Humans.
From forestrynews.blogs.govdelivery.com
Pine Sawyer Beetle A Noteworthy Native Are Sawyer Beetles Harmful To Humans However, their bites do not pose a significant threat to humans. However, it’s still essential to take preventive measures and control these pests to protect your trees and surroundings. They are, however, capable of causing damage to trees, especially those that are already stressed or diseased. many people mistake sawyer beetles for the dreaded asian longhorned beetle (alb) which. Are Sawyer Beetles Harmful To Humans.
From www.beetleidentification.org
Pine Sawyer Beetle Are Sawyer Beetles Harmful To Humans However, their bites do not pose a significant threat to humans. Get details about their eggs, larva, pupa, and adults, and also if they are poisonous or not. the white spotted sawyer beetle, also known as the spotted pine sawyer, is a pest that can cause damage to trees, but their bites are not poisonous to humans. However, it’s. Are Sawyer Beetles Harmful To Humans.
From www.forestryimages.org
Carolina pine sawyer beetle, Monochamus carolinensis (Coleoptera Are Sawyer Beetles Harmful To Humans However, it’s still essential to take preventive measures and control these pests to protect your trees and surroundings. the white spotted sawyer beetle, also known as the spotted pine sawyer, is a pest that can cause damage to trees, but their bites are not poisonous to humans. Get details about their eggs, larva, pupa, and adults, and also if. Are Sawyer Beetles Harmful To Humans.
From www.forestryimages.org
sawyer beetle (Monochamus sartor) Are Sawyer Beetles Harmful To Humans Get details about their eggs, larva, pupa, and adults, and also if they are poisonous or not. However, it’s still essential to take preventive measures and control these pests to protect your trees and surroundings. They are, however, capable of causing damage to trees, especially those that are already stressed or diseased. the white spotted sawyer beetle, also known. Are Sawyer Beetles Harmful To Humans.