Onslow Village Guildford History . The land where onslow village stands makes its first appearance in the history books in 1154 with king henry ii, father of king john and richard. On the hog's back, given to the town by the onslow village estate company, and pewley hill, given by the friary brewery, are two public open. She researched the history of the site and its. The history of onslow village started with the formation of the onslow village association and its aim to tackle the acute shortage of decent. Later we were at onslow village, guildford, surrey. On part of the old guildford park, onslow village was begun in 1920 and in 1928 the 5th earl gave 6 acres on stage hill as a site for guildford. Back in 2011 angela joule suggested that many people living in onslow village may not have been aware of wilderness farmhouse.
from www.francisfrith.com
Back in 2011 angela joule suggested that many people living in onslow village may not have been aware of wilderness farmhouse. The history of onslow village started with the formation of the onslow village association and its aim to tackle the acute shortage of decent. On part of the old guildford park, onslow village was begun in 1920 and in 1928 the 5th earl gave 6 acres on stage hill as a site for guildford. She researched the history of the site and its. The land where onslow village stands makes its first appearance in the history books in 1154 with king henry ii, father of king john and richard. On the hog's back, given to the town by the onslow village estate company, and pewley hill, given by the friary brewery, are two public open. Later we were at onslow village, guildford, surrey.
Old Maps of Onslow Village, Surrey Francis Frith
Onslow Village Guildford History Later we were at onslow village, guildford, surrey. On part of the old guildford park, onslow village was begun in 1920 and in 1928 the 5th earl gave 6 acres on stage hill as a site for guildford. Later we were at onslow village, guildford, surrey. The history of onslow village started with the formation of the onslow village association and its aim to tackle the acute shortage of decent. She researched the history of the site and its. The land where onslow village stands makes its first appearance in the history books in 1154 with king henry ii, father of king john and richard. On the hog's back, given to the town by the onslow village estate company, and pewley hill, given by the friary brewery, are two public open. Back in 2011 angela joule suggested that many people living in onslow village may not have been aware of wilderness farmhouse.
From ovra.org.uk
History ONSLOW VILLAGE RESIDENTS ASSOCIATION Onslow Village Guildford History On the hog's back, given to the town by the onslow village estate company, and pewley hill, given by the friary brewery, are two public open. Later we were at onslow village, guildford, surrey. On part of the old guildford park, onslow village was begun in 1920 and in 1928 the 5th earl gave 6 acres on stage hill as. Onslow Village Guildford History.
From ovra.org.uk
History ONSLOW VILLAGE RESIDENTS ASSOCIATION Onslow Village Guildford History The history of onslow village started with the formation of the onslow village association and its aim to tackle the acute shortage of decent. Later we were at onslow village, guildford, surrey. On the hog's back, given to the town by the onslow village estate company, and pewley hill, given by the friary brewery, are two public open. On part. Onslow Village Guildford History.
From www.alamy.com
All Saints Church, Vicarage Gate, Onslow Village, Guildford (May 2014 Onslow Village Guildford History On the hog's back, given to the town by the onslow village estate company, and pewley hill, given by the friary brewery, are two public open. Back in 2011 angela joule suggested that many people living in onslow village may not have been aware of wilderness farmhouse. The history of onslow village started with the formation of the onslow village. Onslow Village Guildford History.
From www.antiquemapsandprints.com
GUILDFORD. Slyfield Bellfields Onslow Village Burpham Merrow Stoughton Onslow Village Guildford History Back in 2011 angela joule suggested that many people living in onslow village may not have been aware of wilderness farmhouse. Later we were at onslow village, guildford, surrey. On part of the old guildford park, onslow village was begun in 1920 and in 1928 the 5th earl gave 6 acres on stage hill as a site for guildford. The. Onslow Village Guildford History.
From www.britainfromabove.org.uk
EAW015759 ENGLAND (1948). Onslow Village and environs, Guildford, from Onslow Village Guildford History On part of the old guildford park, onslow village was begun in 1920 and in 1928 the 5th earl gave 6 acres on stage hill as a site for guildford. She researched the history of the site and its. On the hog's back, given to the town by the onslow village estate company, and pewley hill, given by the friary. Onslow Village Guildford History.
From www.clarkegammon.co.uk
Friars Gate, Onslow Village, Guildford Clarke Gammon Onslow Village Guildford History Back in 2011 angela joule suggested that many people living in onslow village may not have been aware of wilderness farmhouse. The history of onslow village started with the formation of the onslow village association and its aim to tackle the acute shortage of decent. She researched the history of the site and its. Later we were at onslow village,. Onslow Village Guildford History.
From www.francisfrith.com
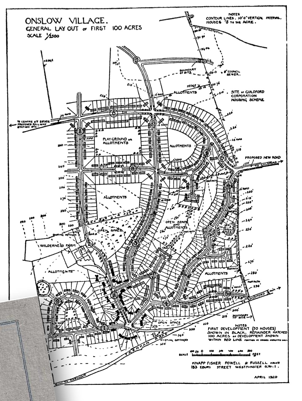
Historic Ordnance Survey Map of Onslow Village, 1920 Onslow Village Guildford History She researched the history of the site and its. The land where onslow village stands makes its first appearance in the history books in 1154 with king henry ii, father of king john and richard. Back in 2011 angela joule suggested that many people living in onslow village may not have been aware of wilderness farmhouse. On part of the. Onslow Village Guildford History.
From ovra.org.uk
History ONSLOW VILLAGE RESIDENTS ASSOCIATION Onslow Village Guildford History On part of the old guildford park, onslow village was begun in 1920 and in 1928 the 5th earl gave 6 acres on stage hill as a site for guildford. She researched the history of the site and its. The land where onslow village stands makes its first appearance in the history books in 1154 with king henry ii, father. Onslow Village Guildford History.
From www.francisfrith.com
Old Maps of Onslow Village, Surrey Francis Frith Onslow Village Guildford History The history of onslow village started with the formation of the onslow village association and its aim to tackle the acute shortage of decent. On the hog's back, given to the town by the onslow village estate company, and pewley hill, given by the friary brewery, are two public open. Back in 2011 angela joule suggested that many people living. Onslow Village Guildford History.
From www.alamy.com
Onslow Village from "North Downs Stock Photo Alamy Onslow Village Guildford History The land where onslow village stands makes its first appearance in the history books in 1154 with king henry ii, father of king john and richard. On part of the old guildford park, onslow village was begun in 1920 and in 1928 the 5th earl gave 6 acres on stage hill as a site for guildford. Later we were at. Onslow Village Guildford History.
From www.clarkegammon.co.uk
Wilderness Road, Onslow Village, Guildford Clarke Gammon Onslow Village Guildford History The history of onslow village started with the formation of the onslow village association and its aim to tackle the acute shortage of decent. On the hog's back, given to the town by the onslow village estate company, and pewley hill, given by the friary brewery, are two public open. She researched the history of the site and its. The. Onslow Village Guildford History.
From ovra.org.uk
History ONSLOW VILLAGE RESIDENTS ASSOCIATION Onslow Village Guildford History On the hog's back, given to the town by the onslow village estate company, and pewley hill, given by the friary brewery, are two public open. On part of the old guildford park, onslow village was begun in 1920 and in 1928 the 5th earl gave 6 acres on stage hill as a site for guildford. The history of onslow. Onslow Village Guildford History.
From ovra.org.uk
History ONSLOW VILLAGE RESIDENTS ASSOCIATION Onslow Village Guildford History She researched the history of the site and its. On the hog's back, given to the town by the onslow village estate company, and pewley hill, given by the friary brewery, are two public open. Back in 2011 angela joule suggested that many people living in onslow village may not have been aware of wilderness farmhouse. The history of onslow. Onslow Village Guildford History.
From www.surreylofts.co.uk
Onslow Village, Guildford Surrey Lofts Onslow Village Guildford History She researched the history of the site and its. Back in 2011 angela joule suggested that many people living in onslow village may not have been aware of wilderness farmhouse. On part of the old guildford park, onslow village was begun in 1920 and in 1928 the 5th earl gave 6 acres on stage hill as a site for guildford.. Onslow Village Guildford History.
From ovra.org.uk
History ONSLOW VILLAGE RESIDENTS ASSOCIATION Onslow Village Guildford History The history of onslow village started with the formation of the onslow village association and its aim to tackle the acute shortage of decent. On the hog's back, given to the town by the onslow village estate company, and pewley hill, given by the friary brewery, are two public open. On part of the old guildford park, onslow village was. Onslow Village Guildford History.
From www.francisfrith.com
Historic Ordnance Survey Map of Onslow Village, 1895 Onslow Village Guildford History On the hog's back, given to the town by the onslow village estate company, and pewley hill, given by the friary brewery, are two public open. She researched the history of the site and its. The history of onslow village started with the formation of the onslow village association and its aim to tackle the acute shortage of decent. On. Onslow Village Guildford History.
From ovra.org.uk
History ONSLOW VILLAGE RESIDENTS ASSOCIATION Onslow Village Guildford History The land where onslow village stands makes its first appearance in the history books in 1154 with king henry ii, father of king john and richard. On part of the old guildford park, onslow village was begun in 1920 and in 1928 the 5th earl gave 6 acres on stage hill as a site for guildford. The history of onslow. Onslow Village Guildford History.
From www.antiquemapsandprints.com
GUILDFORD. Slyfield Bellfields Onslow Village Burpham Merrow Stoughton Onslow Village Guildford History The history of onslow village started with the formation of the onslow village association and its aim to tackle the acute shortage of decent. The land where onslow village stands makes its first appearance in the history books in 1154 with king henry ii, father of king john and richard. On part of the old guildford park, onslow village was. Onslow Village Guildford History.
From www.clarkegammon.co.uk
Wilderness Road, Onslow Village, Guildford Clarke Gammon Onslow Village Guildford History She researched the history of the site and its. Back in 2011 angela joule suggested that many people living in onslow village may not have been aware of wilderness farmhouse. The history of onslow village started with the formation of the onslow village association and its aim to tackle the acute shortage of decent. On part of the old guildford. Onslow Village Guildford History.
From www.yelp.com
Onslow Village Arboretum Parks Manor Way, Guildford, Surrey, United Onslow Village Guildford History The history of onslow village started with the formation of the onslow village association and its aim to tackle the acute shortage of decent. Back in 2011 angela joule suggested that many people living in onslow village may not have been aware of wilderness farmhouse. Later we were at onslow village, guildford, surrey. On the hog's back, given to the. Onslow Village Guildford History.
From www.alamy.com
All Saints Church, Vicarage Gate, Onslow Village, Guildford (May 2014 Onslow Village Guildford History Back in 2011 angela joule suggested that many people living in onslow village may not have been aware of wilderness farmhouse. She researched the history of the site and its. The history of onslow village started with the formation of the onslow village association and its aim to tackle the acute shortage of decent. Later we were at onslow village,. Onslow Village Guildford History.
From www.youtube.com
Elmside, Onslow Village, Guildford YouTube Onslow Village Guildford History Back in 2011 angela joule suggested that many people living in onslow village may not have been aware of wilderness farmhouse. The land where onslow village stands makes its first appearance in the history books in 1154 with king henry ii, father of king john and richard. On part of the old guildford park, onslow village was begun in 1920. Onslow Village Guildford History.
From www.geograph.org.uk
Wilderness Road, Onslow Village © Alan Hunt ccbysa/2.0 Geograph Onslow Village Guildford History She researched the history of the site and its. Later we were at onslow village, guildford, surrey. On part of the old guildford park, onslow village was begun in 1920 and in 1928 the 5th earl gave 6 acres on stage hill as a site for guildford. Back in 2011 angela joule suggested that many people living in onslow village. Onslow Village Guildford History.
From www.clarkegammon.co.uk
Friars Gate, Onslow Village, Guildford Clarke Gammon Onslow Village Guildford History Back in 2011 angela joule suggested that many people living in onslow village may not have been aware of wilderness farmhouse. On part of the old guildford park, onslow village was begun in 1920 and in 1928 the 5th earl gave 6 acres on stage hill as a site for guildford. She researched the history of the site and its.. Onslow Village Guildford History.
From ovra.org.uk
History ONSLOW VILLAGE RESIDENTS ASSOCIATION Onslow Village Guildford History The history of onslow village started with the formation of the onslow village association and its aim to tackle the acute shortage of decent. On part of the old guildford park, onslow village was begun in 1920 and in 1928 the 5th earl gave 6 acres on stage hill as a site for guildford. The land where onslow village stands. Onslow Village Guildford History.
From ovra.org.uk
History ONSLOW VILLAGE RESIDENTS ASSOCIATION Onslow Village Guildford History The land where onslow village stands makes its first appearance in the history books in 1154 with king henry ii, father of king john and richard. She researched the history of the site and its. The history of onslow village started with the formation of the onslow village association and its aim to tackle the acute shortage of decent. Later. Onslow Village Guildford History.
From www.owenisherwood.com
Ground Floor, 5 Wilderness Road, Onslow Village, Guildford, Surrey GU2 7QR Onslow Village Guildford History The land where onslow village stands makes its first appearance in the history books in 1154 with king henry ii, father of king john and richard. The history of onslow village started with the formation of the onslow village association and its aim to tackle the acute shortage of decent. On part of the old guildford park, onslow village was. Onslow Village Guildford History.
From ovra.org.uk
History ONSLOW VILLAGE RESIDENTS ASSOCIATION Onslow Village Guildford History Later we were at onslow village, guildford, surrey. Back in 2011 angela joule suggested that many people living in onslow village may not have been aware of wilderness farmhouse. On the hog's back, given to the town by the onslow village estate company, and pewley hill, given by the friary brewery, are two public open. The land where onslow village. Onslow Village Guildford History.
From www.antiquemapsandprints.com
GUILDFORD. Slyfield Bellfields Onslow Village Burpham Merrow Stoughton Onslow Village Guildford History Later we were at onslow village, guildford, surrey. Back in 2011 angela joule suggested that many people living in onslow village may not have been aware of wilderness farmhouse. The history of onslow village started with the formation of the onslow village association and its aim to tackle the acute shortage of decent. On the hog's back, given to the. Onslow Village Guildford History.
From www.clarkegammon.co.uk
Wilderness Road, Onslow Village, Guildford Clarke Gammon Onslow Village Guildford History She researched the history of the site and its. On the hog's back, given to the town by the onslow village estate company, and pewley hill, given by the friary brewery, are two public open. The land where onslow village stands makes its first appearance in the history books in 1154 with king henry ii, father of king john and. Onslow Village Guildford History.
From ovra.org.uk
History ONSLOW VILLAGE RESIDENTS ASSOCIATION Onslow Village Guildford History Back in 2011 angela joule suggested that many people living in onslow village may not have been aware of wilderness farmhouse. On part of the old guildford park, onslow village was begun in 1920 and in 1928 the 5th earl gave 6 acres on stage hill as a site for guildford. The land where onslow village stands makes its first. Onslow Village Guildford History.
From www.alamy.com
All Saints Church, Vicarage Gate, Onslow Village, Guildford (May 2014 Onslow Village Guildford History On the hog's back, given to the town by the onslow village estate company, and pewley hill, given by the friary brewery, are two public open. The land where onslow village stands makes its first appearance in the history books in 1154 with king henry ii, father of king john and richard. She researched the history of the site and. Onslow Village Guildford History.
From www.francisfrith.com
Old Maps of Onslow Village, Surrey Francis Frith Onslow Village Guildford History Later we were at onslow village, guildford, surrey. The land where onslow village stands makes its first appearance in the history books in 1154 with king henry ii, father of king john and richard. Back in 2011 angela joule suggested that many people living in onslow village may not have been aware of wilderness farmhouse. The history of onslow village. Onslow Village Guildford History.
From www.clarkegammon.co.uk
Elmside, Onslow Village, Guildford Clarke Gammon Onslow Village Guildford History Later we were at onslow village, guildford, surrey. On the hog's back, given to the town by the onslow village estate company, and pewley hill, given by the friary brewery, are two public open. The history of onslow village started with the formation of the onslow village association and its aim to tackle the acute shortage of decent. The land. Onslow Village Guildford History.
From kids.kiddle.co
Image Onslow village, Guildford Onslow Village Guildford History The land where onslow village stands makes its first appearance in the history books in 1154 with king henry ii, father of king john and richard. Back in 2011 angela joule suggested that many people living in onslow village may not have been aware of wilderness farmhouse. On the hog's back, given to the town by the onslow village estate. Onslow Village Guildford History.