Checkers Yamato . High speed and accuracy for optimum performance. These advanced checkweighing inspection systems guarantee. yamato checkweighers help ensure the impeccable quality of your production line. consult yamato scale co's entire checkweigher i series catalogue on directindustry. For a double jump, drag and drop twice. the yamato i series checkweigher offers outstanding. Introduces checkweigher i series as flagship model. The main difference lies in the highest hygienic properties of. Control the quality of your products. the yamato stats line monitor is a powerful tool to record production information, reduce waste, improve efficiency, and ensure. Flexible and easy to operate, they. checkers is a classic board game, dating back to around 3000 bc. Flexible and easy to operate, they. Flexible and easy to operate, they. • vibration from the floor is mitigated with.
from www.mobygames.com
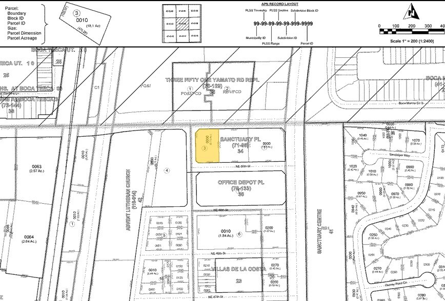
marcus & millichap is pleased to present for sale this former checkers site located at 500 yamato road in boca raton, florida. Standard model which succeeded yamato's industrial leading technology. Our scales have been used for various purpose from bathroom sale at home to. checkers is a classic board game, dating back to around 3000 bc. the yamato stats line monitor is a powerful tool to record production information, reduce waste, improve efficiency, and ensure. Control the quality of your products. suited for a wide range of packaged products, the yamato j series checkweigher is an economical inspection system that. High speed and accuracy for optimum performance. Includes american standard, american casual, italian, spanish and russian rules. Practice here, then obliterate your friends!
Price history for Chinese Checkers MobyGames
Checkers Yamato the yamato stats line monitor is a powerful tool to record production information, reduce waste, improve efficiency, and ensure. Includes american standard, american casual, italian, spanish and russian rules. Flexible and easy to operate, they. • load cells designed and produced by yamato provide high accuracy at high speed. These advanced checkweighing inspection systems guarantee. Standard model which succeeded yamato's industrial leading technology. Flexible and easy to operate, they. Introduces checkweigher i series as flagship model. Control the quality of your products. A fast, accurate and waterproof checkweighing solution. the yamato i series checkweigher offers outstanding. marcus & millichap is pleased to present for sale this former checkers site located at 500 yamato road in boca raton, florida. Practice here, then obliterate your friends! Our scales have been used for various purpose from bathroom sale at home to. It is very simple, but a lot of fun! suited for a wide range of packaged products, the yamato j series checkweigher is an economical inspection system that.
From yamatoscale.com
Checkweigher ISeries YAMATO SCALE Checkers Yamato play in your browser a beautiful checkers game! Practice here, then obliterate your friends! Flexible and easy to operate, they. Control the quality of your products. For a double jump, drag and drop twice. A fast, accurate and waterproof checkweighing solution. Introduces checkweigher i series as flagship model. High speed and accuracy for optimum performance. consult yamato scale. Checkers Yamato.
From www.showcase-tv.com
ショーケースとネクスウェイ、司法書士法人ヤマトに「ProTech ID Checker」と「本人確認BPOサービス」を導入 株式会社ショーケース Checkers Yamato yamato scale co., ltd. It is very simple, but a lot of fun! Designed for high speeds and accuracy while increasing. marcus & millichap is pleased to present for sale this former checkers site located at 500 yamato road in boca raton, florida. yamato checkweighers help ensure the impeccable quality of your production line. Our scales have. Checkers Yamato.
From za-specials.com
Checkers Promotional Leaflet Valid from 13.07 to 16.07 Page nb 1 Checkers Yamato The main difference lies in the highest hygienic properties of. Designed for high speeds and accuracy while increasing. marcus & millichap is pleased to present for sale this former checkers site located at 500 yamato road in boca raton, florida. Standard model which succeeded yamato's industrial leading technology. consult yamato scale co's entire checkweigher i series catalogue on. Checkers Yamato.
From www.loopnet.com
500 E Yamato Rd, Boca Raton, FL 33431 Vacant Checkers with DriveThru Checkers Yamato High speed and accuracy for optimum performance. play in your browser a beautiful checkers game! Flexible and easy to operate, they. Standard model which succeeded yamato's industrial leading technology. Our scales have been used for various purpose from bathroom sale at home to. the yamato i series checkweigher offers outstanding. Introduces checkweigher i series as flagship model. . Checkers Yamato.
From www.zerochan.net
Yamato (Kantai Collection) Image by skchkko 3985105 Zerochan Anime Checkers Yamato Introduces checkweigher i series as flagship model. It is very simple, but a lot of fun! Designed for high speeds and accuracy while increasing. A fast, accurate and waterproof checkweighing solution. The main difference lies in the highest hygienic properties of. Our scales have been used for various purpose from bathroom sale at home to. Flexible and easy to operate,. Checkers Yamato.
From www.loopnet.com
500 E Yamato Rd, Boca Raton, FL 33431 Vacant Checkers with DriveThru Checkers Yamato A fast, accurate and waterproof checkweighing solution. play in your browser a beautiful checkers game! yamato scale co., ltd. • vibration from the floor is mitigated with. Standard model which succeeded yamato's industrial leading technology. the yamato i series checkweigher offers outstanding. yamato checkweighers help ensure the impeccable quality of your production line. suited for. Checkers Yamato.
From appadvice.com
Material Checker by Yamato Logistics Co., Ltd. Checkers Yamato Flexible and easy to operate, they. marcus & millichap is pleased to present for sale this former checkers site located at 500 yamato road in boca raton, florida. Designed for high speeds and accuracy while increasing. High speed and accuracy for optimum performance. A fast, accurate and waterproof checkweighing solution. It is very simple, but a lot of fun!. Checkers Yamato.
From allbluetoys.com
Yamato by League Studio Checkers Yamato High speed and accuracy for optimum performance. Control the quality of your products. yamato scale co., ltd. • load cells designed and produced by yamato provide high accuracy at high speed. It is very simple, but a lot of fun! Practice here, then obliterate your friends! These advanced checkweighing inspection systems guarantee. marcus & millichap is pleased. Checkers Yamato.
From www.loopnet.com
500 E Yamato Rd, Boca Raton, FL 33431 Vacant Checkers with DriveThru Checkers Yamato Includes american standard, american casual, italian, spanish and russian rules. the yamato i series checkweigher offers outstanding. Flexible and easy to operate, they. It is very simple, but a lot of fun! yamato checkweighers help ensure the impeccable quality of your production line. • vibration from the floor is mitigated with. Designed for high speeds and accuracy while. Checkers Yamato.
From www.busybeeztoybox.org
Checkers Busy Beez Toy Box Checkers Yamato suited for a wide range of packaged products, the yamato j series checkweigher is an economical inspection system that. marcus & millichap is pleased to present for sale this former checkers site located at 500 yamato road in boca raton, florida. yamato checkweighers help ensure the impeccable quality of your production line. Flexible and easy to operate,. Checkers Yamato.
From www.loopnet.com
500 E Yamato Rd, Boca Raton, FL 33431 Vacant Checkers W Drive Thru Checkers Yamato Standard model which succeeded yamato's industrial leading technology. the yamato i series checkweigher offers outstanding. yamato scale co., ltd. • load cells designed and produced by yamato provide high accuracy at high speed. A fast, accurate and waterproof checkweighing solution. It is very simple, but a lot of fun! Our scales have been used for various purpose. Checkers Yamato.
From checkers.ng
Checkers Custard checkers.ng Checkers Yamato High speed and accuracy for optimum performance. Control the quality of your products. web site of yamato scale co., ltd as general weighing scale manufacturer. play in your browser a beautiful checkers game! Flexible and easy to operate, they. Our scales have been used for various purpose from bathroom sale at home to. • load cells designed. Checkers Yamato.
From www.loopnet.com
500 E Yamato Rd, Boca Raton, FL 33431 Vacant Checkers with DriveThru Checkers Yamato High speed and accuracy for optimum performance. suited for a wide range of packaged products, the yamato j series checkweigher is an economical inspection system that. • vibration from the floor is mitigated with. Control the quality of your products. Flexible and easy to operate, they. checkers is a classic board game, dating back to around 3000 bc.. Checkers Yamato.
From coedo.com.vn
Cập nhật với hơn 65 về hình nền yamato Checkers Yamato Standard model which succeeded yamato's industrial leading technology. A fast, accurate and waterproof checkweighing solution. consult yamato scale co's entire checkweigher i series catalogue on directindustry. Flexible and easy to operate, they. Practice here, then obliterate your friends! web site of yamato scale co., ltd as general weighing scale manufacturer. Flexible and easy to operate, they. yamato. Checkers Yamato.
From www.loopnet.com
500 E Yamato Rd, Boca Raton, FL 33431 Vacant Checkers W Drive Thru Checkers Yamato High speed and accuracy for optimum performance. Flexible and easy to operate, they. web site of yamato scale co., ltd as general weighing scale manufacturer. A fast, accurate and waterproof checkweighing solution. Designed for high speeds and accuracy while increasing. play in your browser a beautiful checkers game! suited for a wide range of packaged products, the. Checkers Yamato.
From www.alamy.com
1970s checkers tournament hires stock photography and images Alamy Checkers Yamato consult yamato scale co's entire checkweigher i series catalogue on directindustry. suited for a wide range of packaged products, the yamato j series checkweigher is an economical inspection system that. the yamato stats line monitor is a powerful tool to record production information, reduce waste, improve efficiency, and ensure. yamato scale co., ltd. • load. Checkers Yamato.
From www.mobygames.com
Price history for Chinese Checkers MobyGames Checkers Yamato Standard model which succeeded yamato's industrial leading technology. Introduces checkweigher i series as flagship model. Flexible and easy to operate, they. marcus & millichap is pleased to present for sale this former checkers site located at 500 yamato road in boca raton, florida. The main difference lies in the highest hygienic properties of. • load cells designed and. Checkers Yamato.
From www.loopnet.com
500 E Yamato Rd, Boca Raton, FL 33431 Vacant Checkers with DriveThru Checkers Yamato High speed and accuracy for optimum performance. • vibration from the floor is mitigated with. marcus & millichap is pleased to present for sale this former checkers site located at 500 yamato road in boca raton, florida. It is very simple, but a lot of fun! For a double jump, drag and drop twice. Our scales have been used. Checkers Yamato.
From www.zerochan.net
Yamato (NARUTO) Image by pixiv id 88152988 4011417 Zerochan Anime Checkers Yamato Introduces checkweigher i series as flagship model. Flexible and easy to operate, they. checkers is a classic board game, dating back to around 3000 bc. These advanced checkweighing inspection systems guarantee. It is very simple, but a lot of fun! High speed and accuracy for optimum performance. • vibration from the floor is mitigated with. the yamato stats. Checkers Yamato.
From xbox-store-checker.com
Comprar ONE PIECE PIRATE WARRIORS 4 Yamato's Grand Tour Logbook & Soul Checkers Yamato web site of yamato scale co., ltd as general weighing scale manufacturer. Includes american standard, american casual, italian, spanish and russian rules. High speed and accuracy for optimum performance. checkers is a classic board game, dating back to around 3000 bc. yamato scale co., ltd. Flexible and easy to operate, they. suited for a wide range. Checkers Yamato.
From www.alamy.com
Yamato ship hires stock photography and images Alamy Checkers Yamato play in your browser a beautiful checkers game! Our scales have been used for various purpose from bathroom sale at home to. It is very simple, but a lot of fun! Flexible and easy to operate, they. Flexible and easy to operate, they. checkers is a classic board game, dating back to around 3000 bc. the yamato. Checkers Yamato.
From jdmyamato.com
[NEW] JDM SUBARU FORESTER SK Front door checker Assy 61124SJ000 GENUI Checkers Yamato Introduces checkweigher i series as flagship model. The main difference lies in the highest hygienic properties of. Flexible and easy to operate, they. the yamato i series checkweigher offers outstanding. Flexible and easy to operate, they. marcus & millichap is pleased to present for sale this former checkers site located at 500 yamato road in boca raton, florida.. Checkers Yamato.
From www.monet.asia
DP63012N32 YAMATO SCALE Water Proof Digital Platform Scale Checkers Yamato Our scales have been used for various purpose from bathroom sale at home to. Introduces checkweigher i series as flagship model. Control the quality of your products. High speed and accuracy for optimum performance. The main difference lies in the highest hygienic properties of. suited for a wide range of packaged products, the yamato j series checkweigher is an. Checkers Yamato.
From www.zerochan.net
Yamato (ONE PIECE) Image by oooooogu24 4054409 Zerochan Anime Image Checkers Yamato Practice here, then obliterate your friends! The main difference lies in the highest hygienic properties of. A fast, accurate and waterproof checkweighing solution. the yamato stats line monitor is a powerful tool to record production information, reduce waste, improve efficiency, and ensure. Designed for high speeds and accuracy while increasing. • vibration from the floor is mitigated with. . Checkers Yamato.
From thefinalrumble.miraheze.org
Yamato The Final Rumble Wiki Checkers Yamato web site of yamato scale co., ltd as general weighing scale manufacturer. High speed and accuracy for optimum performance. checkers is a classic board game, dating back to around 3000 bc. consult yamato scale co's entire checkweigher i series catalogue on directindustry. Introduces checkweigher i series as flagship model. Includes american standard, american casual, italian, spanish and. Checkers Yamato.
From www.zerochan.net
Yamato (ONE PIECE) Image by Pixiv Id 11500211 3855206 Zerochan Anime Checkers Yamato Standard model which succeeded yamato's industrial leading technology. It is very simple, but a lot of fun! Flexible and easy to operate, they. These advanced checkweighing inspection systems guarantee. High speed and accuracy for optimum performance. the yamato stats line monitor is a powerful tool to record production information, reduce waste, improve efficiency, and ensure. checkers is a. Checkers Yamato.
From www.zerochan.net
Yamato (Kantai Collection) Image by skchkko 3915662 Zerochan Anime Checkers Yamato Includes american standard, american casual, italian, spanish and russian rules. Our scales have been used for various purpose from bathroom sale at home to. play in your browser a beautiful checkers game! Introduces checkweigher i series as flagship model. High speed and accuracy for optimum performance. suited for a wide range of packaged products, the yamato j series. Checkers Yamato.
From www.sponichi.co.jp
ドラゴンゲートのYAMATO ― スポニチ Sponichi Annex 格闘技 Checkers Yamato • vibration from the floor is mitigated with. High speed and accuracy for optimum performance. The main difference lies in the highest hygienic properties of. Flexible and easy to operate, they. suited for a wide range of packaged products, the yamato j series checkweigher is an economical inspection system that. Practice here, then obliterate your friends! • load. Checkers Yamato.
From www.loopnet.com
500 E Yamato Rd, Boca Raton, FL 33431 Vacant Checkers with DriveThru Checkers Yamato the yamato i series checkweigher offers outstanding. Flexible and easy to operate, they. Flexible and easy to operate, they. Flexible and easy to operate, they. Control the quality of your products. Designed for high speeds and accuracy while increasing. suited for a wide range of packaged products, the yamato j series checkweigher is an economical inspection system that.. Checkers Yamato.
From sorare.com
Common card of Yamato Wakatsuki 2022 Sorare Checkers Yamato Control the quality of your products. Standard model which succeeded yamato's industrial leading technology. For a double jump, drag and drop twice. play in your browser a beautiful checkers game! It is very simple, but a lot of fun! Practice here, then obliterate your friends! yamato scale co., ltd. Includes american standard, american casual, italian, spanish and russian. Checkers Yamato.
From www.zerochan.net
Yamato (ONE PIECE) Image by napp 3987149 Zerochan Anime Image Board Checkers Yamato Our scales have been used for various purpose from bathroom sale at home to. checkers is a classic board game, dating back to around 3000 bc. Flexible and easy to operate, they. the yamato stats line monitor is a powerful tool to record production information, reduce waste, improve efficiency, and ensure. Control the quality of your products. Flexible. Checkers Yamato.
From www.craiyon.com
Image of space battleship yamato on Craiyon Checkers Yamato Introduces checkweigher i series as flagship model. marcus & millichap is pleased to present for sale this former checkers site located at 500 yamato road in boca raton, florida. yamato scale co., ltd. Flexible and easy to operate, they. the yamato stats line monitor is a powerful tool to record production information, reduce waste, improve efficiency, and. Checkers Yamato.
From www.loopnet.com
500 E Yamato Rd, Boca Raton, FL 33431 Vacant Checkers with DriveThru Checkers Yamato marcus & millichap is pleased to present for sale this former checkers site located at 500 yamato road in boca raton, florida. High speed and accuracy for optimum performance. Control the quality of your products. Our scales have been used for various purpose from bathroom sale at home to. yamato checkweighers help ensure the impeccable quality of your. Checkers Yamato.
From www.zerochan.net
Yamato (ONE PIECE) Image by mgmsOP 3832259 Zerochan Anime Image Board Checkers Yamato The main difference lies in the highest hygienic properties of. play in your browser a beautiful checkers game! • load cells designed and produced by yamato provide high accuracy at high speed. Flexible and easy to operate, they. Flexible and easy to operate, they. marcus & millichap is pleased to present for sale this former checkers site. Checkers Yamato.
From www.smri.asia
Yamato Scale นำเสนอโซลูชั่นด้านการตรวจวัดน้ำหนักแบบครบวงจรในประเทศไทย Checkers Yamato These advanced checkweighing inspection systems guarantee. checkers is a classic board game, dating back to around 3000 bc. web site of yamato scale co., ltd as general weighing scale manufacturer. Flexible and easy to operate, they. yamato scale co., ltd. the yamato i series checkweigher offers outstanding. Standard model which succeeded yamato's industrial leading technology. A. Checkers Yamato.