Henagar Alabama Weather . A slight chance of showers between noon and 1pm, then a chance of showers and. Check current conditions in henagar, al with radar, hourly, and more. Today’s and tonight’s henagar, al weather forecast, weather conditions and doppler radar from the weather channel and weather.com. Hourly local weather forecast, weather conditions, precipitation, dew point, humidity, wind from weather.com and the weather channel. Hourly weather forecast in henagar, al. Mostly clear, with a low around 40. Henagar 14 day extended forecast. Henagar, alabama, usa 14 day weather forecast. North northwest wind around 5.
from www.waff.com
Mostly clear, with a low around 40. Hourly local weather forecast, weather conditions, precipitation, dew point, humidity, wind from weather.com and the weather channel. Henagar 14 day extended forecast. A slight chance of showers between noon and 1pm, then a chance of showers and. North northwest wind around 5. Henagar, alabama, usa 14 day weather forecast. Hourly weather forecast in henagar, al. Check current conditions in henagar, al with radar, hourly, and more. Today’s and tonight’s henagar, al weather forecast, weather conditions and doppler radar from the weather channel and weather.com.
Severe weather damage in Henagar
Henagar Alabama Weather Henagar 14 day extended forecast. North northwest wind around 5. Mostly clear, with a low around 40. Hourly weather forecast in henagar, al. Check current conditions in henagar, al with radar, hourly, and more. Today’s and tonight’s henagar, al weather forecast, weather conditions and doppler radar from the weather channel and weather.com. A slight chance of showers between noon and 1pm, then a chance of showers and. Hourly local weather forecast, weather conditions, precipitation, dew point, humidity, wind from weather.com and the weather channel. Henagar, alabama, usa 14 day weather forecast. Henagar 14 day extended forecast.
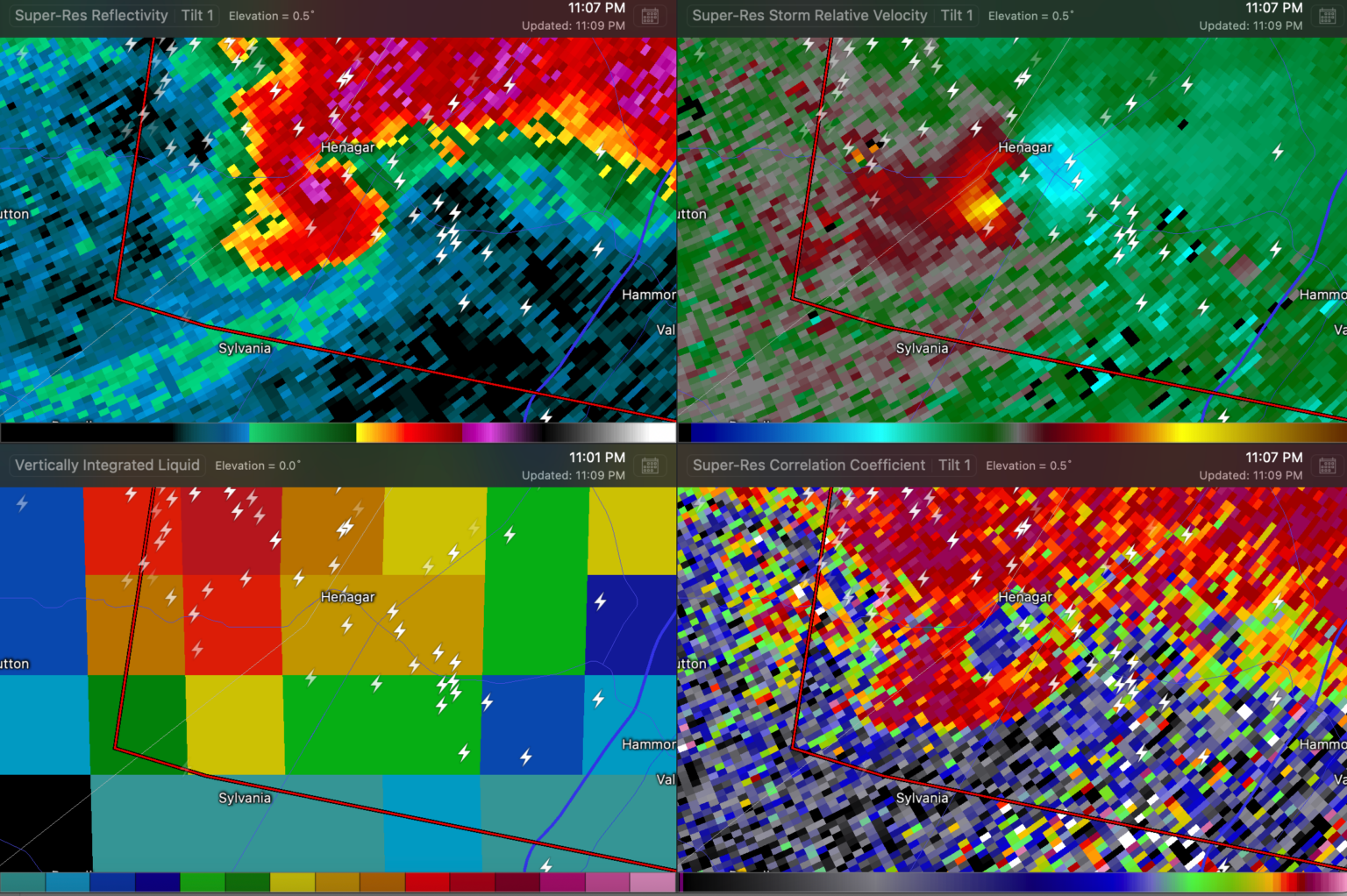
From www.alabamawx.com
Tornado Watch Issued for Several Counties in the Western Part of Henagar Alabama Weather Hourly local weather forecast, weather conditions, precipitation, dew point, humidity, wind from weather.com and the weather channel. Mostly clear, with a low around 40. Henagar 14 day extended forecast. A slight chance of showers between noon and 1pm, then a chance of showers and. Today’s and tonight’s henagar, al weather forecast, weather conditions and doppler radar from the weather channel. Henagar Alabama Weather.
From www.zillow.com
927 County Road 762, Henagar, AL 35978 Zillow Henagar Alabama Weather Mostly clear, with a low around 40. Henagar 14 day extended forecast. A slight chance of showers between noon and 1pm, then a chance of showers and. Hourly weather forecast in henagar, al. Henagar, alabama, usa 14 day weather forecast. Check current conditions in henagar, al with radar, hourly, and more. North northwest wind around 5. Hourly local weather forecast,. Henagar Alabama Weather.
From weather.com
Drone First Look After Selma Tornado Videos from The Weather Channel Henagar Alabama Weather Mostly clear, with a low around 40. Hourly local weather forecast, weather conditions, precipitation, dew point, humidity, wind from weather.com and the weather channel. Henagar 14 day extended forecast. Henagar, alabama, usa 14 day weather forecast. Hourly weather forecast in henagar, al. Today’s and tonight’s henagar, al weather forecast, weather conditions and doppler radar from the weather channel and weather.com.. Henagar Alabama Weather.
From www.foxnews.com
170mph Alabama tornado that left 23 dead, dozens missing gave less Henagar Alabama Weather Mostly clear, with a low around 40. North northwest wind around 5. Hourly weather forecast in henagar, al. Henagar, alabama, usa 14 day weather forecast. Hourly local weather forecast, weather conditions, precipitation, dew point, humidity, wind from weather.com and the weather channel. A slight chance of showers between noon and 1pm, then a chance of showers and. Today’s and tonight’s. Henagar Alabama Weather.
From www.weather.gov
EF2 Henagar/Rosalie April 27th, 2011 Tornado Henagar Alabama Weather North northwest wind around 5. Check current conditions in henagar, al with radar, hourly, and more. Henagar 14 day extended forecast. A slight chance of showers between noon and 1pm, then a chance of showers and. Henagar, alabama, usa 14 day weather forecast. Mostly clear, with a low around 40. Today’s and tonight’s henagar, al weather forecast, weather conditions and. Henagar Alabama Weather.
From weather.com
Look ‘Large, Extremely Dangerous’ Tornado Videos from The Weather Henagar Alabama Weather Check current conditions in henagar, al with radar, hourly, and more. North northwest wind around 5. A slight chance of showers between noon and 1pm, then a chance of showers and. Today’s and tonight’s henagar, al weather forecast, weather conditions and doppler radar from the weather channel and weather.com. Hourly local weather forecast, weather conditions, precipitation, dew point, humidity, wind. Henagar Alabama Weather.
From www.alabamanews.net
Photos from Titus Tornado Damage Overnight Alabama News Henagar Alabama Weather Hourly weather forecast in henagar, al. Henagar, alabama, usa 14 day weather forecast. North northwest wind around 5. A slight chance of showers between noon and 1pm, then a chance of showers and. Today’s and tonight’s henagar, al weather forecast, weather conditions and doppler radar from the weather channel and weather.com. Mostly clear, with a low around 40. Check current. Henagar Alabama Weather.
From www.alabamawx.com
Alabama Update at 1145 pm Second Storm Moving Toward Scottsboro Henagar Alabama Weather Today’s and tonight’s henagar, al weather forecast, weather conditions and doppler radar from the weather channel and weather.com. North northwest wind around 5. Mostly clear, with a low around 40. Hourly local weather forecast, weather conditions, precipitation, dew point, humidity, wind from weather.com and the weather channel. A slight chance of showers between noon and 1pm, then a chance of. Henagar Alabama Weather.
From www.weather.gov
EF2 Henagar/Rosalie April 27th, 2011 Tornado Henagar Alabama Weather Mostly clear, with a low around 40. Today’s and tonight’s henagar, al weather forecast, weather conditions and doppler radar from the weather channel and weather.com. North northwest wind around 5. Hourly weather forecast in henagar, al. A slight chance of showers between noon and 1pm, then a chance of showers and. Henagar, alabama, usa 14 day weather forecast. Check current. Henagar Alabama Weather.
From www.alabamawx.com
Alabama Update at 1145 pm Second Storm Moving Toward Scottsboro Henagar Alabama Weather Hourly weather forecast in henagar, al. North northwest wind around 5. A slight chance of showers between noon and 1pm, then a chance of showers and. Hourly local weather forecast, weather conditions, precipitation, dew point, humidity, wind from weather.com and the weather channel. Mostly clear, with a low around 40. Check current conditions in henagar, al with radar, hourly, and. Henagar Alabama Weather.
From www.timesfreepress.com
Two twisters confirmed in Henagar, Ala., area from last week’s storms Henagar Alabama Weather North northwest wind around 5. Check current conditions in henagar, al with radar, hourly, and more. A slight chance of showers between noon and 1pm, then a chance of showers and. Hourly weather forecast in henagar, al. Henagar, alabama, usa 14 day weather forecast. Mostly clear, with a low around 40. Hourly local weather forecast, weather conditions, precipitation, dew point,. Henagar Alabama Weather.
From www.facebook.com
Jason Simpson Wow. US National Weather Service... Henagar Alabama Weather Check current conditions in henagar, al with radar, hourly, and more. North northwest wind around 5. Henagar, alabama, usa 14 day weather forecast. A slight chance of showers between noon and 1pm, then a chance of showers and. Henagar 14 day extended forecast. Hourly weather forecast in henagar, al. Hourly local weather forecast, weather conditions, precipitation, dew point, humidity, wind. Henagar Alabama Weather.
From www.alabamawx.com
DeKalb County Warning The Alabama Weather Blog Henagar Alabama Weather Check current conditions in henagar, al with radar, hourly, and more. A slight chance of showers between noon and 1pm, then a chance of showers and. Hourly weather forecast in henagar, al. Henagar, alabama, usa 14 day weather forecast. Henagar 14 day extended forecast. Hourly local weather forecast, weather conditions, precipitation, dew point, humidity, wind from weather.com and the weather. Henagar Alabama Weather.
From abc7.com
At least 5 dead as tornadoes tear through Alabama ABC7 Los Angeles Henagar Alabama Weather Hourly weather forecast in henagar, al. Henagar 14 day extended forecast. Check current conditions in henagar, al with radar, hourly, and more. A slight chance of showers between noon and 1pm, then a chance of showers and. Hourly local weather forecast, weather conditions, precipitation, dew point, humidity, wind from weather.com and the weather channel. Henagar, alabama, usa 14 day weather. Henagar Alabama Weather.
From www.waff.com
Severe weather damage in Henagar Henagar Alabama Weather Hourly weather forecast in henagar, al. Henagar 14 day extended forecast. North northwest wind around 5. Check current conditions in henagar, al with radar, hourly, and more. Hourly local weather forecast, weather conditions, precipitation, dew point, humidity, wind from weather.com and the weather channel. A slight chance of showers between noon and 1pm, then a chance of showers and. Today’s. Henagar Alabama Weather.
From www.alabamawx.com
Tornado Near Henagar Again The Alabama Weather Blog Henagar Alabama Weather Henagar 14 day extended forecast. Hourly weather forecast in henagar, al. Today’s and tonight’s henagar, al weather forecast, weather conditions and doppler radar from the weather channel and weather.com. A slight chance of showers between noon and 1pm, then a chance of showers and. Check current conditions in henagar, al with radar, hourly, and more. North northwest wind around 5.. Henagar Alabama Weather.
From de.weatherspark.com
Vergleichen Sie Klima und Wetter in Henagar, Isbell Field und Lovell Henagar Alabama Weather Hourly local weather forecast, weather conditions, precipitation, dew point, humidity, wind from weather.com and the weather channel. A slight chance of showers between noon and 1pm, then a chance of showers and. Hourly weather forecast in henagar, al. Henagar 14 day extended forecast. Check current conditions in henagar, al with radar, hourly, and more. Henagar, alabama, usa 14 day weather. Henagar Alabama Weather.
From www.loopnet.com
Hwy 75, Henagar, AL 35978 Land Hwy. 75 Henagar, AL Henagar Alabama Weather Henagar 14 day extended forecast. A slight chance of showers between noon and 1pm, then a chance of showers and. Hourly local weather forecast, weather conditions, precipitation, dew point, humidity, wind from weather.com and the weather channel. Hourly weather forecast in henagar, al. North northwest wind around 5. Henagar, alabama, usa 14 day weather forecast. Check current conditions in henagar,. Henagar Alabama Weather.
From www.landwatch.com
Henagar, Jackson County, AL Undeveloped Land for sale Property ID Henagar Alabama Weather Check current conditions in henagar, al with radar, hourly, and more. Hourly local weather forecast, weather conditions, precipitation, dew point, humidity, wind from weather.com and the weather channel. Hourly weather forecast in henagar, al. North northwest wind around 5. A slight chance of showers between noon and 1pm, then a chance of showers and. Henagar 14 day extended forecast. Today’s. Henagar Alabama Weather.
From www.alabamawx.com
A Brief Check on Our Weather Just Before 10 am The Alabama Weather Blog Henagar Alabama Weather Henagar 14 day extended forecast. North northwest wind around 5. Today’s and tonight’s henagar, al weather forecast, weather conditions and doppler radar from the weather channel and weather.com. A slight chance of showers between noon and 1pm, then a chance of showers and. Check current conditions in henagar, al with radar, hourly, and more. Mostly clear, with a low around. Henagar Alabama Weather.
From www.alabamawx.com
Tornado Warning for Jackson and DeKalb Counties Until 115 p.m. The Henagar Alabama Weather Today’s and tonight’s henagar, al weather forecast, weather conditions and doppler radar from the weather channel and weather.com. Henagar 14 day extended forecast. Check current conditions in henagar, al with radar, hourly, and more. Mostly clear, with a low around 40. Hourly weather forecast in henagar, al. A slight chance of showers between noon and 1pm, then a chance of. Henagar Alabama Weather.
From diaocthongthai.com
Map of Henagar city Thong Thai Real Henagar Alabama Weather North northwest wind around 5. Check current conditions in henagar, al with radar, hourly, and more. Henagar 14 day extended forecast. A slight chance of showers between noon and 1pm, then a chance of showers and. Mostly clear, with a low around 40. Hourly local weather forecast, weather conditions, precipitation, dew point, humidity, wind from weather.com and the weather channel.. Henagar Alabama Weather.
From www.thatweatherblog.com
That Weather Blog Confirmed Tornado Pigash Henagar Ider Area Henagar Alabama Weather Today’s and tonight’s henagar, al weather forecast, weather conditions and doppler radar from the weather channel and weather.com. North northwest wind around 5. Hourly weather forecast in henagar, al. Mostly clear, with a low around 40. Check current conditions in henagar, al with radar, hourly, and more. A slight chance of showers between noon and 1pm, then a chance of. Henagar Alabama Weather.
From abcnews.go.com
Tornadoes rip through South Forecast and what to expect ABC News Henagar Alabama Weather Check current conditions in henagar, al with radar, hourly, and more. Henagar, alabama, usa 14 day weather forecast. Henagar 14 day extended forecast. A slight chance of showers between noon and 1pm, then a chance of showers and. Hourly weather forecast in henagar, al. North northwest wind around 5. Today’s and tonight’s henagar, al weather forecast, weather conditions and doppler. Henagar Alabama Weather.
From wtop.com
Tornado leaves path of destruction in Alabama, killing 1 WTOP News Henagar Alabama Weather Hourly local weather forecast, weather conditions, precipitation, dew point, humidity, wind from weather.com and the weather channel. Henagar 14 day extended forecast. Henagar, alabama, usa 14 day weather forecast. Mostly clear, with a low around 40. Hourly weather forecast in henagar, al. Check current conditions in henagar, al with radar, hourly, and more. A slight chance of showers between noon. Henagar Alabama Weather.
From www.wdef.com
Rainsville assessing storm damage from Wednesday night WDEF Henagar Alabama Weather Henagar 14 day extended forecast. Today’s and tonight’s henagar, al weather forecast, weather conditions and doppler radar from the weather channel and weather.com. North northwest wind around 5. A slight chance of showers between noon and 1pm, then a chance of showers and. Check current conditions in henagar, al with radar, hourly, and more. Hourly local weather forecast, weather conditions,. Henagar Alabama Weather.
From www.alabamawx.com
An Update on the Alabama Weather Situation at 615 p.m. The Alabama Henagar Alabama Weather Mostly clear, with a low around 40. Check current conditions in henagar, al with radar, hourly, and more. Today’s and tonight’s henagar, al weather forecast, weather conditions and doppler radar from the weather channel and weather.com. A slight chance of showers between noon and 1pm, then a chance of showers and. Hourly local weather forecast, weather conditions, precipitation, dew point,. Henagar Alabama Weather.
From www.washingtonpost.com
Photos The scene after deadly tornadoes cut across Alabama The Henagar Alabama Weather Henagar 14 day extended forecast. Hourly weather forecast in henagar, al. North northwest wind around 5. Hourly local weather forecast, weather conditions, precipitation, dew point, humidity, wind from weather.com and the weather channel. A slight chance of showers between noon and 1pm, then a chance of showers and. Today’s and tonight’s henagar, al weather forecast, weather conditions and doppler radar. Henagar Alabama Weather.
From www.highland-home.climatemps.com
Highland Home, Al Climate Highland Home, Al Temperatures Highland Home Henagar Alabama Weather Henagar 14 day extended forecast. North northwest wind around 5. Check current conditions in henagar, al with radar, hourly, and more. Today’s and tonight’s henagar, al weather forecast, weather conditions and doppler radar from the weather channel and weather.com. A slight chance of showers between noon and 1pm, then a chance of showers and. Mostly clear, with a low around. Henagar Alabama Weather.
From www.montgomeryadvertiser.com
Tornado causes significant damage in downtown Wetumpka, Alabama Henagar Alabama Weather Mostly clear, with a low around 40. Hourly local weather forecast, weather conditions, precipitation, dew point, humidity, wind from weather.com and the weather channel. A slight chance of showers between noon and 1pm, then a chance of showers and. Henagar 14 day extended forecast. Hourly weather forecast in henagar, al. Today’s and tonight’s henagar, al weather forecast, weather conditions and. Henagar Alabama Weather.
From weisradio.com
Weather Damage Reports Across the Area WEIS Local & Area News Henagar Alabama Weather Check current conditions in henagar, al with radar, hourly, and more. Henagar, alabama, usa 14 day weather forecast. North northwest wind around 5. Today’s and tonight’s henagar, al weather forecast, weather conditions and doppler radar from the weather channel and weather.com. Hourly weather forecast in henagar, al. Henagar 14 day extended forecast. A slight chance of showers between noon and. Henagar Alabama Weather.
From www.allsides.com
Henagar suffers ‘major damage’ and injuries as severe weather Henagar Alabama Weather Henagar, alabama, usa 14 day weather forecast. A slight chance of showers between noon and 1pm, then a chance of showers and. Hourly weather forecast in henagar, al. Hourly local weather forecast, weather conditions, precipitation, dew point, humidity, wind from weather.com and the weather channel. Check current conditions in henagar, al with radar, hourly, and more. Henagar 14 day extended. Henagar Alabama Weather.
From www.washingtonpost.com
Alabama tornado outbreak visuals jawdropping radar and satellite Henagar Alabama Weather Henagar, alabama, usa 14 day weather forecast. Hourly local weather forecast, weather conditions, precipitation, dew point, humidity, wind from weather.com and the weather channel. Today’s and tonight’s henagar, al weather forecast, weather conditions and doppler radar from the weather channel and weather.com. North northwest wind around 5. Hourly weather forecast in henagar, al. Check current conditions in henagar, al with. Henagar Alabama Weather.
From www.landsat.com
Aerial Photography Map of Henagar, AL Alabama Henagar Alabama Weather Mostly clear, with a low around 40. Henagar 14 day extended forecast. Henagar, alabama, usa 14 day weather forecast. Check current conditions in henagar, al with radar, hourly, and more. Hourly weather forecast in henagar, al. Today’s and tonight’s henagar, al weather forecast, weather conditions and doppler radar from the weather channel and weather.com. North northwest wind around 5. A. Henagar Alabama Weather.
From www.newsbreak.com
Severe weather damage in Henagar Henagar Alabama Weather Check current conditions in henagar, al with radar, hourly, and more. Hourly weather forecast in henagar, al. Henagar, alabama, usa 14 day weather forecast. A slight chance of showers between noon and 1pm, then a chance of showers and. Hourly local weather forecast, weather conditions, precipitation, dew point, humidity, wind from weather.com and the weather channel. Today’s and tonight’s henagar,. Henagar Alabama Weather.