Shelby Weather Radar . Base reflectivity doppler radar for shelby nc, providing current static map of storm severity from precipitation levels. Interactive weather map allows you to pan and zoom to get unmatched weather details in your local neighborhood or half a world away from. Check out our current live radar and weather forecasts for shelby, north carolina to help plan. Want to know what the weather is now? Interactive weather map allows you to pan and zoom to get unmatched weather details in your local neighborhood or half a world away from. Easy to use weather radar at your fingertips! Today’s and tonight’s shelby, nc weather forecast, weather conditions and doppler radar from the weather channel and weather.com Your best resource for local.
from www.scoopnest.com
Base reflectivity doppler radar for shelby nc, providing current static map of storm severity from precipitation levels. Easy to use weather radar at your fingertips! Today’s and tonight’s shelby, nc weather forecast, weather conditions and doppler radar from the weather channel and weather.com Interactive weather map allows you to pan and zoom to get unmatched weather details in your local neighborhood or half a world away from. Want to know what the weather is now? Your best resource for local. Interactive weather map allows you to pan and zoom to get unmatched weather details in your local neighborhood or half a world away from. Check out our current live radar and weather forecasts for shelby, north carolina to help plan.
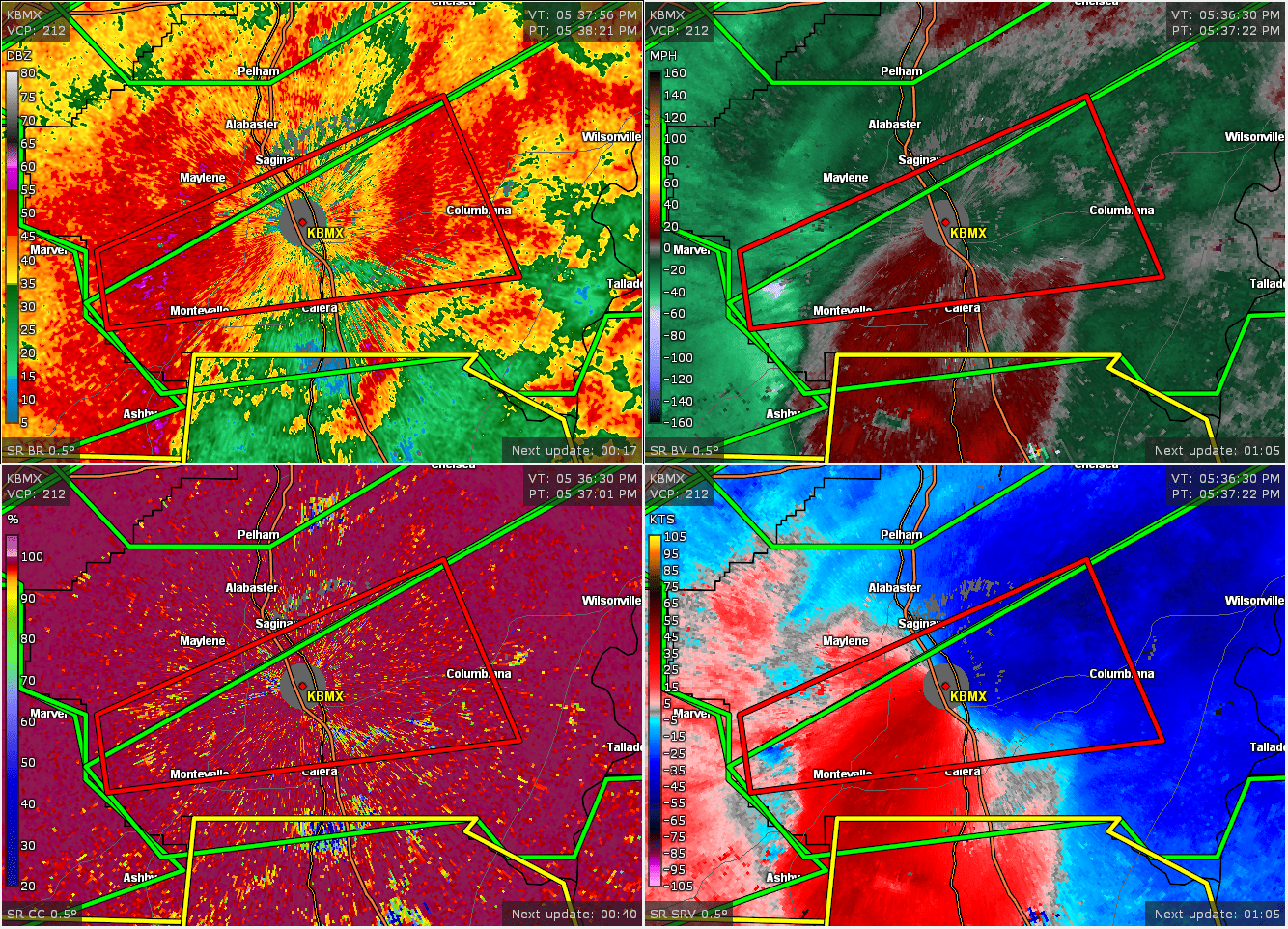
Storms in Shelby County At 443 PM CDT, Doppler radar was tracking a
Shelby Weather Radar Easy to use weather radar at your fingertips! Interactive weather map allows you to pan and zoom to get unmatched weather details in your local neighborhood or half a world away from. Today’s and tonight’s shelby, nc weather forecast, weather conditions and doppler radar from the weather channel and weather.com Your best resource for local. Check out our current live radar and weather forecasts for shelby, north carolina to help plan. Interactive weather map allows you to pan and zoom to get unmatched weather details in your local neighborhood or half a world away from. Easy to use weather radar at your fingertips! Base reflectivity doppler radar for shelby nc, providing current static map of storm severity from precipitation levels. Want to know what the weather is now?
From www.palmbeachpost.com
Florida weather forecast, radar. Thunderstorms, tornadoes, cold front Shelby Weather Radar Base reflectivity doppler radar for shelby nc, providing current static map of storm severity from precipitation levels. Your best resource for local. Today’s and tonight’s shelby, nc weather forecast, weather conditions and doppler radar from the weather channel and weather.com Check out our current live radar and weather forecasts for shelby, north carolina to help plan. Interactive weather map allows. Shelby Weather Radar.
From www.alabamawx.com
Significant Weather Advisory St. Clair, SouthCentral Etowah, Shelby Shelby Weather Radar Interactive weather map allows you to pan and zoom to get unmatched weather details in your local neighborhood or half a world away from. Easy to use weather radar at your fingertips! Base reflectivity doppler radar for shelby nc, providing current static map of storm severity from precipitation levels. Interactive weather map allows you to pan and zoom to get. Shelby Weather Radar.
From pilotpassion.com
Top 5 Aviation Weather Radars for Private Pilots Shelby Weather Radar Check out our current live radar and weather forecasts for shelby, north carolina to help plan. Your best resource for local. Easy to use weather radar at your fingertips! Want to know what the weather is now? Today’s and tonight’s shelby, nc weather forecast, weather conditions and doppler radar from the weather channel and weather.com Base reflectivity doppler radar for. Shelby Weather Radar.
From www.weather.gov
Two Tornadoes in Christian and Shelby Counties on August 12, 2019 Shelby Weather Radar Interactive weather map allows you to pan and zoom to get unmatched weather details in your local neighborhood or half a world away from. Your best resource for local. Today’s and tonight’s shelby, nc weather forecast, weather conditions and doppler radar from the weather channel and weather.com Want to know what the weather is now? Easy to use weather radar. Shelby Weather Radar.
From weathervkl.blogspot.com
Weather In Shelby County Alabama WEATHER VKL Shelby Weather Radar Today’s and tonight’s shelby, nc weather forecast, weather conditions and doppler radar from the weather channel and weather.com Your best resource for local. Interactive weather map allows you to pan and zoom to get unmatched weather details in your local neighborhood or half a world away from. Easy to use weather radar at your fingertips! Check out our current live. Shelby Weather Radar.
From www8.garmin.com
tactix 7 Standard/AMOLED/Pro/Pro Ballistics Owner's Manual Viewing Shelby Weather Radar Check out our current live radar and weather forecasts for shelby, north carolina to help plan. Base reflectivity doppler radar for shelby nc, providing current static map of storm severity from precipitation levels. Today’s and tonight’s shelby, nc weather forecast, weather conditions and doppler radar from the weather channel and weather.com Want to know what the weather is now? Your. Shelby Weather Radar.
From mappingmemories.ca
Repetido Comportamiento Bóveda live weather radar map Júnior exagerar Shelby Weather Radar Interactive weather map allows you to pan and zoom to get unmatched weather details in your local neighborhood or half a world away from. Base reflectivity doppler radar for shelby nc, providing current static map of storm severity from precipitation levels. Today’s and tonight’s shelby, nc weather forecast, weather conditions and doppler radar from the weather channel and weather.com Your. Shelby Weather Radar.
From twitter.com
Shelby Mac on Twitter "RT WKRN WEATHER ALERT Severe T'Storm Warning Shelby Weather Radar Easy to use weather radar at your fingertips! Check out our current live radar and weather forecasts for shelby, north carolina to help plan. Interactive weather map allows you to pan and zoom to get unmatched weather details in your local neighborhood or half a world away from. Today’s and tonight’s shelby, nc weather forecast, weather conditions and doppler radar. Shelby Weather Radar.
From www.weather.gov
National Weather Service Forecast Office Memphis, TN May 12, 2010 Shelby Weather Radar Interactive weather map allows you to pan and zoom to get unmatched weather details in your local neighborhood or half a world away from. Base reflectivity doppler radar for shelby nc, providing current static map of storm severity from precipitation levels. Interactive weather map allows you to pan and zoom to get unmatched weather details in your local neighborhood or. Shelby Weather Radar.
From www.alabamawx.com
Strong Storms Moving Through Jefferson & Shelby County The Alabama Shelby Weather Radar Interactive weather map allows you to pan and zoom to get unmatched weather details in your local neighborhood or half a world away from. Base reflectivity doppler radar for shelby nc, providing current static map of storm severity from precipitation levels. Today’s and tonight’s shelby, nc weather forecast, weather conditions and doppler radar from the weather channel and weather.com Your. Shelby Weather Radar.
From www.severe-weather.eu
Through Clouds with Weather Radar Forecaster's Ultimate Tool Shelby Weather Radar Easy to use weather radar at your fingertips! Your best resource for local. Check out our current live radar and weather forecasts for shelby, north carolina to help plan. Today’s and tonight’s shelby, nc weather forecast, weather conditions and doppler radar from the weather channel and weather.com Interactive weather map allows you to pan and zoom to get unmatched weather. Shelby Weather Radar.
From bringmethenews.com
Duluth weather radar down rest of the month; Twin Cities radar to be Shelby Weather Radar Interactive weather map allows you to pan and zoom to get unmatched weather details in your local neighborhood or half a world away from. Base reflectivity doppler radar for shelby nc, providing current static map of storm severity from precipitation levels. Easy to use weather radar at your fingertips! Your best resource for local. Check out our current live radar. Shelby Weather Radar.
From www.alabamawx.com
Severe TStorm Warning for Calhoun, Clay, Cleburne, Shelby, Talladega Shelby Weather Radar Check out our current live radar and weather forecasts for shelby, north carolina to help plan. Base reflectivity doppler radar for shelby nc, providing current static map of storm severity from precipitation levels. Interactive weather map allows you to pan and zoom to get unmatched weather details in your local neighborhood or half a world away from. Your best resource. Shelby Weather Radar.
From twitter.com
Texas Weather Alerts on Twitter "SHV issues Tornado Warning [tornado Shelby Weather Radar Check out our current live radar and weather forecasts for shelby, north carolina to help plan. Base reflectivity doppler radar for shelby nc, providing current static map of storm severity from precipitation levels. Today’s and tonight’s shelby, nc weather forecast, weather conditions and doppler radar from the weather channel and weather.com Easy to use weather radar at your fingertips! Interactive. Shelby Weather Radar.
From itsreleased.com
Intellicast Radar Your Guide to RealTime Weather Tracking Shelby Weather Radar Your best resource for local. Check out our current live radar and weather forecasts for shelby, north carolina to help plan. Base reflectivity doppler radar for shelby nc, providing current static map of storm severity from precipitation levels. Easy to use weather radar at your fingertips! Interactive weather map allows you to pan and zoom to get unmatched weather details. Shelby Weather Radar.
From www.weather.gov
Shelby County Tornado March 1, 2007 Shelby Weather Radar Interactive weather map allows you to pan and zoom to get unmatched weather details in your local neighborhood or half a world away from. Check out our current live radar and weather forecasts for shelby, north carolina to help plan. Easy to use weather radar at your fingertips! Want to know what the weather is now? Your best resource for. Shelby Weather Radar.
From www.interactivehailmaps.com
Interactive Hail Maps Hail Map for Shelby, MT Shelby Weather Radar Base reflectivity doppler radar for shelby nc, providing current static map of storm severity from precipitation levels. Check out our current live radar and weather forecasts for shelby, north carolina to help plan. Interactive weather map allows you to pan and zoom to get unmatched weather details in your local neighborhood or half a world away from. Your best resource. Shelby Weather Radar.
From www.fox8live.com
Shelby Severe weather update Shelby Weather Radar Base reflectivity doppler radar for shelby nc, providing current static map of storm severity from precipitation levels. Your best resource for local. Check out our current live radar and weather forecasts for shelby, north carolina to help plan. Want to know what the weather is now? Easy to use weather radar at your fingertips! Interactive weather map allows you to. Shelby Weather Radar.
From twitter.com
NBC 6 Weather on Twitter "WEATHER AUTHORITY ALERT...SHV issues Severe Shelby Weather Radar Easy to use weather radar at your fingertips! Today’s and tonight’s shelby, nc weather forecast, weather conditions and doppler radar from the weather channel and weather.com Your best resource for local. Check out our current live radar and weather forecasts for shelby, north carolina to help plan. Want to know what the weather is now? Base reflectivity doppler radar for. Shelby Weather Radar.
From www.alabamawx.com
Strong Storms Now Affecting Portions of Jefferson, Shelby, Tuscaloosa Shelby Weather Radar Check out our current live radar and weather forecasts for shelby, north carolina to help plan. Interactive weather map allows you to pan and zoom to get unmatched weather details in your local neighborhood or half a world away from. Interactive weather map allows you to pan and zoom to get unmatched weather details in your local neighborhood or half. Shelby Weather Radar.
From joiejgrah.blob.core.windows.net
Shelby Ne Weather Radar at Ernest Baisley blog Shelby Weather Radar Easy to use weather radar at your fingertips! Your best resource for local. Want to know what the weather is now? Today’s and tonight’s shelby, nc weather forecast, weather conditions and doppler radar from the weather channel and weather.com Interactive weather map allows you to pan and zoom to get unmatched weather details in your local neighborhood or half a. Shelby Weather Radar.
From sinazucarsinaiento.blogspot.com
Weather radar Good Faith Column Photo Exhibition Shelby Weather Radar Base reflectivity doppler radar for shelby nc, providing current static map of storm severity from precipitation levels. Interactive weather map allows you to pan and zoom to get unmatched weather details in your local neighborhood or half a world away from. Want to know what the weather is now? Interactive weather map allows you to pan and zoom to get. Shelby Weather Radar.
From www.interactivehailmaps.com
Interactive Hail Maps Hail Map for Shelby, MI Shelby Weather Radar Check out our current live radar and weather forecasts for shelby, north carolina to help plan. Want to know what the weather is now? Easy to use weather radar at your fingertips! Interactive weather map allows you to pan and zoom to get unmatched weather details in your local neighborhood or half a world away from. Interactive weather map allows. Shelby Weather Radar.
From www.weather.gov
May 10th, 2008 Severe Weather Event Summary Shelby Weather Radar Interactive weather map allows you to pan and zoom to get unmatched weather details in your local neighborhood or half a world away from. Base reflectivity doppler radar for shelby nc, providing current static map of storm severity from precipitation levels. Easy to use weather radar at your fingertips! Want to know what the weather is now? Today’s and tonight’s. Shelby Weather Radar.
From www.wkrn.com
Severe weather family safety plan tips from News 2 meteorologist Shelby Shelby Weather Radar Today’s and tonight’s shelby, nc weather forecast, weather conditions and doppler radar from the weather channel and weather.com Base reflectivity doppler radar for shelby nc, providing current static map of storm severity from precipitation levels. Interactive weather map allows you to pan and zoom to get unmatched weather details in your local neighborhood or half a world away from. Check. Shelby Weather Radar.
From www.alabamawx.com
CANCELED Tornado Warning for Parts of Shelby Co. Until 615 pm The Shelby Weather Radar Your best resource for local. Want to know what the weather is now? Interactive weather map allows you to pan and zoom to get unmatched weather details in your local neighborhood or half a world away from. Easy to use weather radar at your fingertips! Check out our current live radar and weather forecasts for shelby, north carolina to help. Shelby Weather Radar.
From www.interactivehailmaps.com
Interactive Hail Maps Hail Map for Shelby, NC Shelby Weather Radar Today’s and tonight’s shelby, nc weather forecast, weather conditions and doppler radar from the weather channel and weather.com Want to know what the weather is now? Base reflectivity doppler radar for shelby nc, providing current static map of storm severity from precipitation levels. Interactive weather map allows you to pan and zoom to get unmatched weather details in your local. Shelby Weather Radar.
From www.news5cleveland.com
How meteorologists use radar data to track and predict storms Shelby Weather Radar Want to know what the weather is now? Interactive weather map allows you to pan and zoom to get unmatched weather details in your local neighborhood or half a world away from. Your best resource for local. Base reflectivity doppler radar for shelby nc, providing current static map of storm severity from precipitation levels. Today’s and tonight’s shelby, nc weather. Shelby Weather Radar.
From www.alabamawx.com
Shelby County is Up Next For Some Strong Storms The Alabama Weather Blog Shelby Weather Radar Today’s and tonight’s shelby, nc weather forecast, weather conditions and doppler radar from the weather channel and weather.com Want to know what the weather is now? Base reflectivity doppler radar for shelby nc, providing current static map of storm severity from precipitation levels. Your best resource for local. Interactive weather map allows you to pan and zoom to get unmatched. Shelby Weather Radar.
From www.alabamawx.com
Severe Thunderstorm Warning for Bibb, Shelby, Talladega Co. Until 600 Shelby Weather Radar Check out our current live radar and weather forecasts for shelby, north carolina to help plan. Easy to use weather radar at your fingertips! Today’s and tonight’s shelby, nc weather forecast, weather conditions and doppler radar from the weather channel and weather.com Base reflectivity doppler radar for shelby nc, providing current static map of storm severity from precipitation levels. Your. Shelby Weather Radar.
From www.alabamawx.com
EXPIRED — Severe TStorm Warning for Parts of Jefferson, Shelby Co Shelby Weather Radar Interactive weather map allows you to pan and zoom to get unmatched weather details in your local neighborhood or half a world away from. Your best resource for local. Easy to use weather radar at your fingertips! Interactive weather map allows you to pan and zoom to get unmatched weather details in your local neighborhood or half a world away. Shelby Weather Radar.
From www.alabamawx.com
Get Ready Shelby County The Alabama Weather Blog Shelby Weather Radar Today’s and tonight’s shelby, nc weather forecast, weather conditions and doppler radar from the weather channel and weather.com Check out our current live radar and weather forecasts for shelby, north carolina to help plan. Want to know what the weather is now? Your best resource for local. Base reflectivity doppler radar for shelby nc, providing current static map of storm. Shelby Weather Radar.
From www.facebook.com
Weather Radar 255 p.m. Knoxville, storm, east RADAR UPDATE (TUE 2 Shelby Weather Radar Interactive weather map allows you to pan and zoom to get unmatched weather details in your local neighborhood or half a world away from. Interactive weather map allows you to pan and zoom to get unmatched weather details in your local neighborhood or half a world away from. Today’s and tonight’s shelby, nc weather forecast, weather conditions and doppler radar. Shelby Weather Radar.
From www.alamy.com
Weather radar screen showing severe thunder storms moving across the US Shelby Weather Radar Interactive weather map allows you to pan and zoom to get unmatched weather details in your local neighborhood or half a world away from. Want to know what the weather is now? Base reflectivity doppler radar for shelby nc, providing current static map of storm severity from precipitation levels. Today’s and tonight’s shelby, nc weather forecast, weather conditions and doppler. Shelby Weather Radar.
From www.scoopnest.com
Storms in Shelby County At 443 PM CDT, Doppler radar was tracking a Shelby Weather Radar Today’s and tonight’s shelby, nc weather forecast, weather conditions and doppler radar from the weather channel and weather.com Check out our current live radar and weather forecasts for shelby, north carolina to help plan. Base reflectivity doppler radar for shelby nc, providing current static map of storm severity from precipitation levels. Want to know what the weather is now? Interactive. Shelby Weather Radar.