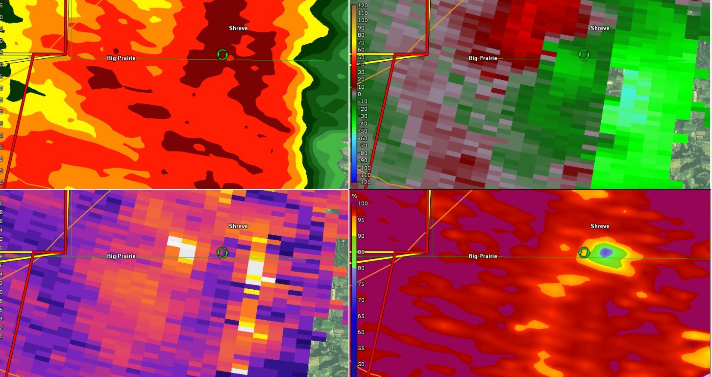
Shreve Ohio Tornado 2022 . the tornado reached a maximum speed of 105 miles per hour, destroying two barns and damaging the. radar at 8:55 p.m. this is footage southeast of shreve, oh from a possible tornado. Wednesday, july 20, 2022, shows the storm at the time the tornado occurred. Notice the “hook” return around shreve,.
from nbatitlechase.com
Wednesday, july 20, 2022, shows the storm at the time the tornado occurred. radar at 8:55 p.m. Notice the “hook” return around shreve,. this is footage southeast of shreve, oh from a possible tornado. the tornado reached a maximum speed of 105 miles per hour, destroying two barns and damaging the.
PHOTO Hardest Hit Areas By Tornado Around Shreve Were Wayne And Holmes
Shreve Ohio Tornado 2022 Wednesday, july 20, 2022, shows the storm at the time the tornado occurred. Notice the “hook” return around shreve,. this is footage southeast of shreve, oh from a possible tornado. Wednesday, july 20, 2022, shows the storm at the time the tornado occurred. the tornado reached a maximum speed of 105 miles per hour, destroying two barns and damaging the. radar at 8:55 p.m.
From fox8.com
Northeast Ohio tornadoes Where did tornadoes touch down on June 15? Shreve Ohio Tornado 2022 this is footage southeast of shreve, oh from a possible tornado. Wednesday, july 20, 2022, shows the storm at the time the tornado occurred. radar at 8:55 p.m. Notice the “hook” return around shreve,. the tornado reached a maximum speed of 105 miles per hour, destroying two barns and damaging the. Shreve Ohio Tornado 2022.
From www.youtube.com
Chaser Nearly Hit By Tornado In Shreve, OH July 20th 2022 YouTube Shreve Ohio Tornado 2022 Notice the “hook” return around shreve,. radar at 8:55 p.m. this is footage southeast of shreve, oh from a possible tornado. Wednesday, july 20, 2022, shows the storm at the time the tornado occurred. the tornado reached a maximum speed of 105 miles per hour, destroying two barns and damaging the. Shreve Ohio Tornado 2022.
From actualnewsmagazine.com
2022 Tornadoes cause dozens of deaths Actual News Magazine Shreve Ohio Tornado 2022 the tornado reached a maximum speed of 105 miles per hour, destroying two barns and damaging the. Notice the “hook” return around shreve,. this is footage southeast of shreve, oh from a possible tornado. Wednesday, july 20, 2022, shows the storm at the time the tornado occurred. radar at 8:55 p.m. Shreve Ohio Tornado 2022.
From abc7.com
3 dead after storms, tornadoes tear through Midwest and South ABC7 Shreve Ohio Tornado 2022 Wednesday, july 20, 2022, shows the storm at the time the tornado occurred. this is footage southeast of shreve, oh from a possible tornado. radar at 8:55 p.m. Notice the “hook” return around shreve,. the tornado reached a maximum speed of 105 miles per hour, destroying two barns and damaging the. Shreve Ohio Tornado 2022.
From www.youtube.com
7202022 Tornado Touchdown/Storm in Shreve, OH YouTube Shreve Ohio Tornado 2022 this is footage southeast of shreve, oh from a possible tornado. Wednesday, july 20, 2022, shows the storm at the time the tornado occurred. the tornado reached a maximum speed of 105 miles per hour, destroying two barns and damaging the. Notice the “hook” return around shreve,. radar at 8:55 p.m. Shreve Ohio Tornado 2022.
From nbatitlechase.com
PHOTO Hardest Hit Areas By Tornado Around Shreve Were Wayne And Holmes Shreve Ohio Tornado 2022 the tornado reached a maximum speed of 105 miles per hour, destroying two barns and damaging the. Notice the “hook” return around shreve,. radar at 8:55 p.m. this is footage southeast of shreve, oh from a possible tornado. Wednesday, july 20, 2022, shows the storm at the time the tornado occurred. Shreve Ohio Tornado 2022.
From www.wkbn.com
Tornado touches down in Shreve, Ohio in Wayne county Wednesday, July 20 Shreve Ohio Tornado 2022 radar at 8:55 p.m. the tornado reached a maximum speed of 105 miles per hour, destroying two barns and damaging the. Notice the “hook” return around shreve,. Wednesday, july 20, 2022, shows the storm at the time the tornado occurred. this is footage southeast of shreve, oh from a possible tornado. Shreve Ohio Tornado 2022.
From survive-a-storm.com
2022 in Tornadoes A Look at the “Worst” SurviveAStorm Shreve Ohio Tornado 2022 radar at 8:55 p.m. Notice the “hook” return around shreve,. this is footage southeast of shreve, oh from a possible tornado. Wednesday, july 20, 2022, shows the storm at the time the tornado occurred. the tornado reached a maximum speed of 105 miles per hour, destroying two barns and damaging the. Shreve Ohio Tornado 2022.
From www.13abc.com
Ohio officials seek answers from NWS on tornado outbreak reports Shreve Ohio Tornado 2022 this is footage southeast of shreve, oh from a possible tornado. the tornado reached a maximum speed of 105 miles per hour, destroying two barns and damaging the. Notice the “hook” return around shreve,. radar at 8:55 p.m. Wednesday, july 20, 2022, shows the storm at the time the tornado occurred. Shreve Ohio Tornado 2022.
From spectrumnews1.com
NWS confirms at least 9 tornadoes from Ohio storms Shreve Ohio Tornado 2022 radar at 8:55 p.m. Notice the “hook” return around shreve,. the tornado reached a maximum speed of 105 miles per hour, destroying two barns and damaging the. Wednesday, july 20, 2022, shows the storm at the time the tornado occurred. this is footage southeast of shreve, oh from a possible tornado. Shreve Ohio Tornado 2022.
From nbatitlechase.com
PHOTO Radar Maps Showing Why Residents Of Shreve Ohio Needed To Take Shreve Ohio Tornado 2022 Notice the “hook” return around shreve,. the tornado reached a maximum speed of 105 miles per hour, destroying two barns and damaging the. radar at 8:55 p.m. this is footage southeast of shreve, oh from a possible tornado. Wednesday, july 20, 2022, shows the storm at the time the tornado occurred. Shreve Ohio Tornado 2022.
From nbatitlechase.com
PHOTO Radar Map Showing Tornado Hit Shreve Ohio Dead Center Wednesday Shreve Ohio Tornado 2022 Wednesday, july 20, 2022, shows the storm at the time the tornado occurred. this is footage southeast of shreve, oh from a possible tornado. the tornado reached a maximum speed of 105 miles per hour, destroying two barns and damaging the. Notice the “hook” return around shreve,. radar at 8:55 p.m. Shreve Ohio Tornado 2022.
From twitter.com
Luke Hatton on Twitter "RT robsohioweather CLOSE RANGE TORNADO Shreve Ohio Tornado 2022 Notice the “hook” return around shreve,. this is footage southeast of shreve, oh from a possible tornado. Wednesday, july 20, 2022, shows the storm at the time the tornado occurred. the tornado reached a maximum speed of 105 miles per hour, destroying two barns and damaging the. radar at 8:55 p.m. Shreve Ohio Tornado 2022.
From nbatitlechase.com
PHOTO View Of Tornado Forming From Walnut Creek Ohio Shreve Ohio Tornado 2022 the tornado reached a maximum speed of 105 miles per hour, destroying two barns and damaging the. Notice the “hook” return around shreve,. Wednesday, july 20, 2022, shows the storm at the time the tornado occurred. this is footage southeast of shreve, oh from a possible tornado. radar at 8:55 p.m. Shreve Ohio Tornado 2022.
From www.youtube.com
Tornado of 2022 Tipp City, Oh YouTube Shreve Ohio Tornado 2022 Wednesday, july 20, 2022, shows the storm at the time the tornado occurred. the tornado reached a maximum speed of 105 miles per hour, destroying two barns and damaging the. this is footage southeast of shreve, oh from a possible tornado. Notice the “hook” return around shreve,. radar at 8:55 p.m. Shreve Ohio Tornado 2022.
From nbatitlechase.com
PHOTO Crazy Clouds West Of Shreve Ohio During Tornado Like Egg Were In Shreve Ohio Tornado 2022 this is footage southeast of shreve, oh from a possible tornado. Notice the “hook” return around shreve,. radar at 8:55 p.m. Wednesday, july 20, 2022, shows the storm at the time the tornado occurred. the tornado reached a maximum speed of 105 miles per hour, destroying two barns and damaging the. Shreve Ohio Tornado 2022.
From baptistandreflector.org
TENNESSEE DR RESPONDING TO OHIO TORNADO Baptist & Reflector Shreve Ohio Tornado 2022 Notice the “hook” return around shreve,. radar at 8:55 p.m. this is footage southeast of shreve, oh from a possible tornado. the tornado reached a maximum speed of 105 miles per hour, destroying two barns and damaging the. Wednesday, july 20, 2022, shows the storm at the time the tornado occurred. Shreve Ohio Tornado 2022.
From www.weather.gov
January 1, 2022 Tornadoes Shreve Ohio Tornado 2022 radar at 8:55 p.m. Notice the “hook” return around shreve,. this is footage southeast of shreve, oh from a possible tornado. Wednesday, july 20, 2022, shows the storm at the time the tornado occurred. the tornado reached a maximum speed of 105 miles per hour, destroying two barns and damaging the. Shreve Ohio Tornado 2022.
From baynews9.com
Tornadoes, damaging winds sweep Ohio on Wednesday Shreve Ohio Tornado 2022 the tornado reached a maximum speed of 105 miles per hour, destroying two barns and damaging the. radar at 8:55 p.m. this is footage southeast of shreve, oh from a possible tornado. Notice the “hook” return around shreve,. Wednesday, july 20, 2022, shows the storm at the time the tornado occurred. Shreve Ohio Tornado 2022.
From nbatitlechase.com
PHOTO Radar Maps Were Unbelievable To Look At As Tornado Was On The Shreve Ohio Tornado 2022 radar at 8:55 p.m. the tornado reached a maximum speed of 105 miles per hour, destroying two barns and damaging the. Wednesday, july 20, 2022, shows the storm at the time the tornado occurred. this is footage southeast of shreve, oh from a possible tornado. Notice the “hook” return around shreve,. Shreve Ohio Tornado 2022.
From www.roundrocktexas.gov
Six months after the Storm A look back on the 2022 tornado City of Shreve Ohio Tornado 2022 the tornado reached a maximum speed of 105 miles per hour, destroying two barns and damaging the. this is footage southeast of shreve, oh from a possible tornado. Notice the “hook” return around shreve,. radar at 8:55 p.m. Wednesday, july 20, 2022, shows the storm at the time the tornado occurred. Shreve Ohio Tornado 2022.
From spectrumnews1.com
NWS confirms tornadoes during Sunday night's storms in Ohio Shreve Ohio Tornado 2022 radar at 8:55 p.m. this is footage southeast of shreve, oh from a possible tornado. the tornado reached a maximum speed of 105 miles per hour, destroying two barns and damaging the. Notice the “hook” return around shreve,. Wednesday, july 20, 2022, shows the storm at the time the tornado occurred. Shreve Ohio Tornado 2022.
From www.weather.gov
Tornadic storm, damaging winds and widespread rain (2324 May 2022) Shreve Ohio Tornado 2022 radar at 8:55 p.m. Notice the “hook” return around shreve,. the tornado reached a maximum speed of 105 miles per hour, destroying two barns and damaging the. this is footage southeast of shreve, oh from a possible tornado. Wednesday, july 20, 2022, shows the storm at the time the tornado occurred. Shreve Ohio Tornado 2022.
From fox8.com
Ohio tornado hits Shreve, Wayne, Holmes counties Shreve Ohio Tornado 2022 Notice the “hook” return around shreve,. Wednesday, july 20, 2022, shows the storm at the time the tornado occurred. this is footage southeast of shreve, oh from a possible tornado. the tornado reached a maximum speed of 105 miles per hour, destroying two barns and damaging the. radar at 8:55 p.m. Shreve Ohio Tornado 2022.
From www.wkbn.com
Tornado touches down in Shreve, Ohio in Wayne county Wednesday, July 20 Shreve Ohio Tornado 2022 this is footage southeast of shreve, oh from a possible tornado. Notice the “hook” return around shreve,. radar at 8:55 p.m. Wednesday, july 20, 2022, shows the storm at the time the tornado occurred. the tornado reached a maximum speed of 105 miles per hour, destroying two barns and damaging the. Shreve Ohio Tornado 2022.
From www.10tv.com
Ohio hit by 8 tornadoes during Thursday’s storms, NWS confirms Shreve Ohio Tornado 2022 this is footage southeast of shreve, oh from a possible tornado. Wednesday, july 20, 2022, shows the storm at the time the tornado occurred. Notice the “hook” return around shreve,. the tornado reached a maximum speed of 105 miles per hour, destroying two barns and damaging the. radar at 8:55 p.m. Shreve Ohio Tornado 2022.
From spectrumnews1.com
2024, Ohio sees most tornadoes in the U.S. Shreve Ohio Tornado 2022 the tornado reached a maximum speed of 105 miles per hour, destroying two barns and damaging the. radar at 8:55 p.m. Wednesday, july 20, 2022, shows the storm at the time the tornado occurred. Notice the “hook” return around shreve,. this is footage southeast of shreve, oh from a possible tornado. Shreve Ohio Tornado 2022.
From www.youtube.com
Shreve, OH Tornado Coverage 7/20/22 YouTube Shreve Ohio Tornado 2022 radar at 8:55 p.m. Wednesday, july 20, 2022, shows the storm at the time the tornado occurred. the tornado reached a maximum speed of 105 miles per hour, destroying two barns and damaging the. Notice the “hook” return around shreve,. this is footage southeast of shreve, oh from a possible tornado. Shreve Ohio Tornado 2022.
From nbatitlechase.com
PHOTO Unusual Clouds In Northeast Ohio During Shreve Ohio Tornado Shreve Ohio Tornado 2022 Wednesday, july 20, 2022, shows the storm at the time the tornado occurred. radar at 8:55 p.m. Notice the “hook” return around shreve,. this is footage southeast of shreve, oh from a possible tornado. the tornado reached a maximum speed of 105 miles per hour, destroying two barns and damaging the. Shreve Ohio Tornado 2022.
From www.youtube.com
November 4, 2022 Tornado Outbreak Radar Archive Fall 2022 Tornado Shreve Ohio Tornado 2022 Wednesday, july 20, 2022, shows the storm at the time the tornado occurred. this is footage southeast of shreve, oh from a possible tornado. the tornado reached a maximum speed of 105 miles per hour, destroying two barns and damaging the. radar at 8:55 p.m. Notice the “hook” return around shreve,. Shreve Ohio Tornado 2022.
From www.nbc4i.com
Video Camera caught 100mph Ohio tornado near Columbus Shreve Ohio Tornado 2022 this is footage southeast of shreve, oh from a possible tornado. radar at 8:55 p.m. the tornado reached a maximum speed of 105 miles per hour, destroying two barns and damaging the. Notice the “hook” return around shreve,. Wednesday, july 20, 2022, shows the storm at the time the tornado occurred. Shreve Ohio Tornado 2022.
From www.wkbn.com
Tornado touches down in Shreve, Ohio in Wayne county Wednesday, July 20 Shreve Ohio Tornado 2022 Notice the “hook” return around shreve,. the tornado reached a maximum speed of 105 miles per hour, destroying two barns and damaging the. Wednesday, july 20, 2022, shows the storm at the time the tornado occurred. radar at 8:55 p.m. this is footage southeast of shreve, oh from a possible tornado. Shreve Ohio Tornado 2022.
From twitter.com
WeatherNation on Twitter "WOW! Check this out! Pretty intense video Shreve Ohio Tornado 2022 Wednesday, july 20, 2022, shows the storm at the time the tornado occurred. Notice the “hook” return around shreve,. radar at 8:55 p.m. the tornado reached a maximum speed of 105 miles per hour, destroying two barns and damaging the. this is footage southeast of shreve, oh from a possible tornado. Shreve Ohio Tornado 2022.
From www.wkbn.com
Tornado touches down in Shreve, Ohio in Wayne county Wednesday, July 20 Shreve Ohio Tornado 2022 radar at 8:55 p.m. Notice the “hook” return around shreve,. Wednesday, july 20, 2022, shows the storm at the time the tornado occurred. this is footage southeast of shreve, oh from a possible tornado. the tornado reached a maximum speed of 105 miles per hour, destroying two barns and damaging the. Shreve Ohio Tornado 2022.
From nbatitlechase.com
PHOTO Wooster Ohio Is Lucky It Didn't Suffer The Same Tornado Damage As Shreve Ohio Tornado 2022 Notice the “hook” return around shreve,. the tornado reached a maximum speed of 105 miles per hour, destroying two barns and damaging the. this is footage southeast of shreve, oh from a possible tornado. radar at 8:55 p.m. Wednesday, july 20, 2022, shows the storm at the time the tornado occurred. Shreve Ohio Tornado 2022.