Wind Forecast Jacksboro Texas . Jacksboro, tx weather forecast | accuweather. Detailed wind speed and wind direction information as well as interactive graphs for winds. Detailed wind speed and wind direction information as well as interactive graphs for winds jacksboro municipal airport wind forecast, tx. Local forecast office more local wx 3 day history hourly. Winds sse at 10 to 15 mph. Weather today for jacksboro, tx | accuweather. Very warm with plenty of sun hi: Elev 1120 ft, 33.22 °n, 98.16 °w. Humidity 37% uv index 0 of 11. Local forecast office more local wx 3 day history.
from www.star-telegram.com
Detailed wind speed and wind direction information as well as interactive graphs for winds. Jacksboro, tx weather forecast | accuweather. Winds sse at 10 to 15 mph. Weather today for jacksboro, tx | accuweather. Local forecast office more local wx 3 day history hourly. Humidity 37% uv index 0 of 11. Elev 1120 ft, 33.22 °n, 98.16 °w. Local forecast office more local wx 3 day history. Detailed wind speed and wind direction information as well as interactive graphs for winds jacksboro municipal airport wind forecast, tx. Very warm with plenty of sun hi:
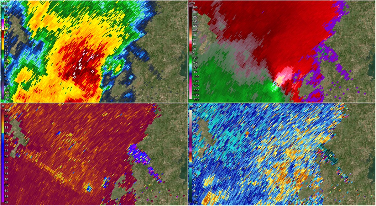
Tornado hit Jacksboro with 150 mph winds; only minor injuries Fort
Wind Forecast Jacksboro Texas Humidity 37% uv index 0 of 11. Jacksboro, tx weather forecast | accuweather. Weather today for jacksboro, tx | accuweather. Very warm with plenty of sun hi: Local forecast office more local wx 3 day history hourly. Detailed wind speed and wind direction information as well as interactive graphs for winds jacksboro municipal airport wind forecast, tx. Elev 1120 ft, 33.22 °n, 98.16 °w. Humidity 37% uv index 0 of 11. Detailed wind speed and wind direction information as well as interactive graphs for winds. Local forecast office more local wx 3 day history. Winds sse at 10 to 15 mph.
From www.kcentv.com
Severe weather in Central Texas expected Wednesday evening Wind Forecast Jacksboro Texas Jacksboro, tx weather forecast | accuweather. Elev 1120 ft, 33.22 °n, 98.16 °w. Winds sse at 10 to 15 mph. Detailed wind speed and wind direction information as well as interactive graphs for winds jacksboro municipal airport wind forecast, tx. Local forecast office more local wx 3 day history hourly. Humidity 37% uv index 0 of 11. Local forecast office. Wind Forecast Jacksboro Texas.
From www.wzzm13.com
Fierce winds forecast for the Midwest and Northeast Wind Forecast Jacksboro Texas Elev 1120 ft, 33.22 °n, 98.16 °w. Local forecast office more local wx 3 day history. Detailed wind speed and wind direction information as well as interactive graphs for winds. Humidity 37% uv index 0 of 11. Weather today for jacksboro, tx | accuweather. Winds sse at 10 to 15 mph. Jacksboro, tx weather forecast | accuweather. Local forecast office. Wind Forecast Jacksboro Texas.
From www.facebook.com
this squall is basically a wall of... PC2 StormStalkers Facebook Wind Forecast Jacksboro Texas Jacksboro, tx weather forecast | accuweather. Local forecast office more local wx 3 day history. Very warm with plenty of sun hi: Weather today for jacksboro, tx | accuweather. Detailed wind speed and wind direction information as well as interactive graphs for winds jacksboro municipal airport wind forecast, tx. Winds sse at 10 to 15 mph. Elev 1120 ft, 33.22. Wind Forecast Jacksboro Texas.
From twitter.com
Nicholas Krasznavolgyi on Twitter "An intense tornado struck Jacksboro Wind Forecast Jacksboro Texas Detailed wind speed and wind direction information as well as interactive graphs for winds jacksboro municipal airport wind forecast, tx. Local forecast office more local wx 3 day history. Local forecast office more local wx 3 day history hourly. Weather today for jacksboro, tx | accuweather. Humidity 37% uv index 0 of 11. Winds sse at 10 to 15 mph.. Wind Forecast Jacksboro Texas.
From www.mikesmithenterprisesblog.com
How Did Yesterday's Tornado and Damaging Wind Forecast Work Out? Wind Forecast Jacksboro Texas Humidity 37% uv index 0 of 11. Jacksboro, tx weather forecast | accuweather. Weather today for jacksboro, tx | accuweather. Detailed wind speed and wind direction information as well as interactive graphs for winds. Local forecast office more local wx 3 day history hourly. Elev 1120 ft, 33.22 °n, 98.16 °w. Very warm with plenty of sun hi: Winds sse. Wind Forecast Jacksboro Texas.
From www.restoremastersllc.com
Emergency Roofing Required In Jacksboro, TX In The Wake Of Severe Wind Forecast Jacksboro Texas Winds sse at 10 to 15 mph. Local forecast office more local wx 3 day history hourly. Weather today for jacksboro, tx | accuweather. Humidity 37% uv index 0 of 11. Very warm with plenty of sun hi: Jacksboro, tx weather forecast | accuweather. Local forecast office more local wx 3 day history. Detailed wind speed and wind direction information. Wind Forecast Jacksboro Texas.
From ifunny.co
Lows Tonight Light Winds Weather Forecast Office Amarillo, TX Issued Wind Forecast Jacksboro Texas Detailed wind speed and wind direction information as well as interactive graphs for winds jacksboro municipal airport wind forecast, tx. Winds sse at 10 to 15 mph. Humidity 37% uv index 0 of 11. Detailed wind speed and wind direction information as well as interactive graphs for winds. Jacksboro, tx weather forecast | accuweather. Very warm with plenty of sun. Wind Forecast Jacksboro Texas.
From ifunny.co
Monday Night Chilly ..but not as cold as previous nights Winds *South Wind Forecast Jacksboro Texas Very warm with plenty of sun hi: Weather today for jacksboro, tx | accuweather. Humidity 37% uv index 0 of 11. Jacksboro, tx weather forecast | accuweather. Detailed wind speed and wind direction information as well as interactive graphs for winds jacksboro municipal airport wind forecast, tx. Detailed wind speed and wind direction information as well as interactive graphs for. Wind Forecast Jacksboro Texas.
From www.youtube.com
WIND FORECAST TODAY YouTube Wind Forecast Jacksboro Texas Local forecast office more local wx 3 day history hourly. Elev 1120 ft, 33.22 °n, 98.16 °w. Humidity 37% uv index 0 of 11. Local forecast office more local wx 3 day history. Jacksboro, tx weather forecast | accuweather. Detailed wind speed and wind direction information as well as interactive graphs for winds jacksboro municipal airport wind forecast, tx. Detailed. Wind Forecast Jacksboro Texas.
From www.mikesmithenterprisesblog.com
3pm Updated Tornado and Damaging Wind Forecast Wind Forecast Jacksboro Texas Elev 1120 ft, 33.22 °n, 98.16 °w. Very warm with plenty of sun hi: Humidity 37% uv index 0 of 11. Jacksboro, tx weather forecast | accuweather. Detailed wind speed and wind direction information as well as interactive graphs for winds jacksboro municipal airport wind forecast, tx. Weather today for jacksboro, tx | accuweather. Winds sse at 10 to 15. Wind Forecast Jacksboro Texas.
From ifunny.co
Independence Day Forecast AHot Fourth of July! HOT! or jowie 101 Wind Forecast Jacksboro Texas Detailed wind speed and wind direction information as well as interactive graphs for winds jacksboro municipal airport wind forecast, tx. Elev 1120 ft, 33.22 °n, 98.16 °w. Humidity 37% uv index 0 of 11. Very warm with plenty of sun hi: Local forecast office more local wx 3 day history. Winds sse at 10 to 15 mph. Detailed wind speed. Wind Forecast Jacksboro Texas.
From ifunny.co
'Weather Forecast Office Tomorrow Lubbock, TX Warmer with breezy Wind Forecast Jacksboro Texas Winds sse at 10 to 15 mph. Weather today for jacksboro, tx | accuweather. Detailed wind speed and wind direction information as well as interactive graphs for winds. Local forecast office more local wx 3 day history. Jacksboro, tx weather forecast | accuweather. Humidity 37% uv index 0 of 11. Local forecast office more local wx 3 day history hourly.. Wind Forecast Jacksboro Texas.
From www.newschannel6now.com
New Wind Farm Completed in Jacksboro Wind Forecast Jacksboro Texas Jacksboro, tx weather forecast | accuweather. Winds sse at 10 to 15 mph. Elev 1120 ft, 33.22 °n, 98.16 °w. Weather today for jacksboro, tx | accuweather. Local forecast office more local wx 3 day history. Detailed wind speed and wind direction information as well as interactive graphs for winds. Detailed wind speed and wind direction information as well as. Wind Forecast Jacksboro Texas.
From flipboard.com
Forecast Storms move out, winds whip through North Texas Flipboard Wind Forecast Jacksboro Texas Very warm with plenty of sun hi: Jacksboro, tx weather forecast | accuweather. Local forecast office more local wx 3 day history. Local forecast office more local wx 3 day history hourly. Winds sse at 10 to 15 mph. Humidity 37% uv index 0 of 11. Detailed wind speed and wind direction information as well as interactive graphs for winds. Wind Forecast Jacksboro Texas.
From www.ktvq.com
Q2 Billings Area Weather Stronger Wind Both Tonight And Sunday Night Wind Forecast Jacksboro Texas Detailed wind speed and wind direction information as well as interactive graphs for winds jacksboro municipal airport wind forecast, tx. Local forecast office more local wx 3 day history hourly. Humidity 37% uv index 0 of 11. Winds sse at 10 to 15 mph. Very warm with plenty of sun hi: Weather today for jacksboro, tx | accuweather. Local forecast. Wind Forecast Jacksboro Texas.
From printable-maphq.com
Texas Wind Direction Map Printable Maps Wind Forecast Jacksboro Texas Winds sse at 10 to 15 mph. Very warm with plenty of sun hi: Local forecast office more local wx 3 day history hourly. Weather today for jacksboro, tx | accuweather. Local forecast office more local wx 3 day history. Detailed wind speed and wind direction information as well as interactive graphs for winds jacksboro municipal airport wind forecast, tx.. Wind Forecast Jacksboro Texas.
From spectrumlocalnews.com
Severe storms move across North Texas Wind Forecast Jacksboro Texas Humidity 37% uv index 0 of 11. Weather today for jacksboro, tx | accuweather. Detailed wind speed and wind direction information as well as interactive graphs for winds jacksboro municipal airport wind forecast, tx. Local forecast office more local wx 3 day history. Jacksboro, tx weather forecast | accuweather. Very warm with plenty of sun hi: Elev 1120 ft, 33.22. Wind Forecast Jacksboro Texas.
From www.the-sun.com
Hurricaneforce winds forecast as 8.5m Americans in six states put Wind Forecast Jacksboro Texas Very warm with plenty of sun hi: Humidity 37% uv index 0 of 11. Detailed wind speed and wind direction information as well as interactive graphs for winds. Local forecast office more local wx 3 day history hourly. Weather today for jacksboro, tx | accuweather. Detailed wind speed and wind direction information as well as interactive graphs for winds jacksboro. Wind Forecast Jacksboro Texas.
From texasstormchasers.com
Storms exit Texas by early afternoon; Blizzard ramping up in the Wind Forecast Jacksboro Texas Elev 1120 ft, 33.22 °n, 98.16 °w. Local forecast office more local wx 3 day history. Very warm with plenty of sun hi: Winds sse at 10 to 15 mph. Local forecast office more local wx 3 day history hourly. Jacksboro, tx weather forecast | accuweather. Detailed wind speed and wind direction information as well as interactive graphs for winds.. Wind Forecast Jacksboro Texas.
From www.star-telegram.com
Tornado hit Jacksboro with 150 mph winds; only minor injuries Fort Wind Forecast Jacksboro Texas Detailed wind speed and wind direction information as well as interactive graphs for winds. Very warm with plenty of sun hi: Humidity 37% uv index 0 of 11. Local forecast office more local wx 3 day history. Local forecast office more local wx 3 day history hourly. Jacksboro, tx weather forecast | accuweather. Elev 1120 ft, 33.22 °n, 98.16 °w.. Wind Forecast Jacksboro Texas.
From www.star-telegram.com
North Texas has windiest April since 1963 Fort Worth StarTelegram Wind Forecast Jacksboro Texas Weather today for jacksboro, tx | accuweather. Elev 1120 ft, 33.22 °n, 98.16 °w. Local forecast office more local wx 3 day history. Detailed wind speed and wind direction information as well as interactive graphs for winds. Jacksboro, tx weather forecast | accuweather. Winds sse at 10 to 15 mph. Humidity 37% uv index 0 of 11. Very warm with. Wind Forecast Jacksboro Texas.
From twitter.com
Texas Storm Chasers on Twitter "1155PM A line of storms extends from Wind Forecast Jacksboro Texas Weather today for jacksboro, tx | accuweather. Detailed wind speed and wind direction information as well as interactive graphs for winds. Local forecast office more local wx 3 day history hourly. Winds sse at 10 to 15 mph. Humidity 37% uv index 0 of 11. Very warm with plenty of sun hi: Local forecast office more local wx 3 day. Wind Forecast Jacksboro Texas.
From www.facebook.com
💨WIND ADVISORY 2535... Texas Department of Transportation Wind Forecast Jacksboro Texas Humidity 37% uv index 0 of 11. Detailed wind speed and wind direction information as well as interactive graphs for winds. Very warm with plenty of sun hi: Local forecast office more local wx 3 day history. Weather today for jacksboro, tx | accuweather. Detailed wind speed and wind direction information as well as interactive graphs for winds jacksboro municipal. Wind Forecast Jacksboro Texas.
From www.pinterest.com
A line of showers and strong storms extends from Bowie to Jacksboro to Wind Forecast Jacksboro Texas Weather today for jacksboro, tx | accuweather. Local forecast office more local wx 3 day history hourly. Local forecast office more local wx 3 day history. Winds sse at 10 to 15 mph. Elev 1120 ft, 33.22 °n, 98.16 °w. Detailed wind speed and wind direction information as well as interactive graphs for winds jacksboro municipal airport wind forecast, tx.. Wind Forecast Jacksboro Texas.
From br.ifunny.co
Weather Forecast Office Partly Cloudy with Patchy Fog After Midnight Wind Forecast Jacksboro Texas Very warm with plenty of sun hi: Local forecast office more local wx 3 day history hourly. Local forecast office more local wx 3 day history. Weather today for jacksboro, tx | accuweather. Humidity 37% uv index 0 of 11. Detailed wind speed and wind direction information as well as interactive graphs for winds jacksboro municipal airport wind forecast, tx.. Wind Forecast Jacksboro Texas.
From www.wccbcharlotte.com
Wind Forecast Graph Today WCCB Charlotte's CW Wind Forecast Jacksboro Texas Detailed wind speed and wind direction information as well as interactive graphs for winds. Local forecast office more local wx 3 day history. Detailed wind speed and wind direction information as well as interactive graphs for winds jacksboro municipal airport wind forecast, tx. Jacksboro, tx weather forecast | accuweather. Very warm with plenty of sun hi: Local forecast office more. Wind Forecast Jacksboro Texas.
From twitter.com
KWTX Weather on Twitter "Another WINDY day in the forecast for Central Wind Forecast Jacksboro Texas Jacksboro, tx weather forecast | accuweather. Winds sse at 10 to 15 mph. Local forecast office more local wx 3 day history. Local forecast office more local wx 3 day history hourly. Very warm with plenty of sun hi: Humidity 37% uv index 0 of 11. Detailed wind speed and wind direction information as well as interactive graphs for winds.. Wind Forecast Jacksboro Texas.
From www.foxweather.com
Powerful preholiday storm to pound 20 states, slow early Christmas Wind Forecast Jacksboro Texas Very warm with plenty of sun hi: Local forecast office more local wx 3 day history hourly. Humidity 37% uv index 0 of 11. Detailed wind speed and wind direction information as well as interactive graphs for winds. Detailed wind speed and wind direction information as well as interactive graphs for winds jacksboro municipal airport wind forecast, tx. Jacksboro, tx. Wind Forecast Jacksboro Texas.
From twitter.com
NWS Fort Worth on Twitter "Severe Thunderstorm Warning including Wind Forecast Jacksboro Texas Very warm with plenty of sun hi: Jacksboro, tx weather forecast | accuweather. Detailed wind speed and wind direction information as well as interactive graphs for winds jacksboro municipal airport wind forecast, tx. Detailed wind speed and wind direction information as well as interactive graphs for winds. Weather today for jacksboro, tx | accuweather. Elev 1120 ft, 33.22 °n, 98.16. Wind Forecast Jacksboro Texas.
From twitter.com
Nicholas Krasznavolgyi on Twitter "An intense tornado struck Jacksboro Wind Forecast Jacksboro Texas Detailed wind speed and wind direction information as well as interactive graphs for winds. Weather today for jacksboro, tx | accuweather. Winds sse at 10 to 15 mph. Local forecast office more local wx 3 day history. Very warm with plenty of sun hi: Elev 1120 ft, 33.22 °n, 98.16 °w. Jacksboro, tx weather forecast | accuweather. Detailed wind speed. Wind Forecast Jacksboro Texas.
From ifunny.co
Weather Forecast Office Tomorrow Fort Worth, TX Forecast afternoon high Wind Forecast Jacksboro Texas Local forecast office more local wx 3 day history. Very warm with plenty of sun hi: Elev 1120 ft, 33.22 °n, 98.16 °w. Detailed wind speed and wind direction information as well as interactive graphs for winds. Weather today for jacksboro, tx | accuweather. Jacksboro, tx weather forecast | accuweather. Humidity 37% uv index 0 of 11. Detailed wind speed. Wind Forecast Jacksboro Texas.
From www.star-telegram.com
Tornado hit Jacksboro with 150 mph winds; only minor injuries Fort Wind Forecast Jacksboro Texas Jacksboro, tx weather forecast | accuweather. Detailed wind speed and wind direction information as well as interactive graphs for winds jacksboro municipal airport wind forecast, tx. Elev 1120 ft, 33.22 °n, 98.16 °w. Local forecast office more local wx 3 day history hourly. Local forecast office more local wx 3 day history. Humidity 37% uv index 0 of 11. Detailed. Wind Forecast Jacksboro Texas.
From www.facebook.com
The HRRR model seems to be nailing... Texas Storm Chasers Wind Forecast Jacksboro Texas Detailed wind speed and wind direction information as well as interactive graphs for winds jacksboro municipal airport wind forecast, tx. Local forecast office more local wx 3 day history. Local forecast office more local wx 3 day history hourly. Weather today for jacksboro, tx | accuweather. Jacksboro, tx weather forecast | accuweather. Detailed wind speed and wind direction information as. Wind Forecast Jacksboro Texas.
From ifunny.co
Strong To Severe Storms Tuesday Evening "Fort Worth, TX Through Sunrise Wind Forecast Jacksboro Texas Winds sse at 10 to 15 mph. Detailed wind speed and wind direction information as well as interactive graphs for winds jacksboro municipal airport wind forecast, tx. Detailed wind speed and wind direction information as well as interactive graphs for winds. Very warm with plenty of sun hi: Local forecast office more local wx 3 day history. Elev 1120 ft,. Wind Forecast Jacksboro Texas.
From www.kcentv.com
Severe weather threat in Central Texas Friday afternoon Wind Forecast Jacksboro Texas Detailed wind speed and wind direction information as well as interactive graphs for winds jacksboro municipal airport wind forecast, tx. Winds sse at 10 to 15 mph. Detailed wind speed and wind direction information as well as interactive graphs for winds. Jacksboro, tx weather forecast | accuweather. Local forecast office more local wx 3 day history hourly. Elev 1120 ft,. Wind Forecast Jacksboro Texas.